14a Patrick Street, Bothwell TAS 7030
Property Details
Vacant Land
Description
Property Details: • Type: Vacant Land
• Bedrooms: 0 • Bathrooms: 0
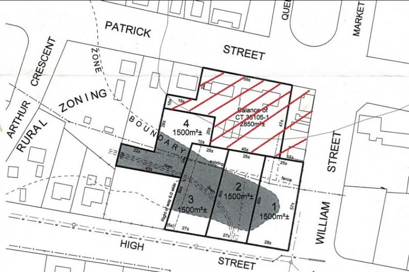
Description: Phone enquiries - please call 1300 594 794 and quote property ID 32435. Nestled in the heart of Tasmania's Central Highlands, the charming and historically rich town of Bothwell offers a serene and tranquil lifestyle. Located just a short drive from Hobart, this idyllic country town provides all the amenities you need in a picturesque setting. This vacant block is approximately 6,000sqm which can be subdivided into smaller lots (Subject to Council Approval). A proposed zoning plan can be seen with 4 proposed allotments each having 1500sqm, however with dual streets, the proposed blocks could possibly be smaller again (STCA). (Current zoning is Development Zoning (16.0 Village). This provides a great opportunity for a developer or astute investor to purchase now and build multiple dwellings (STCA). The land is flat, the location central and recent windfarm projects in the region have boosted great interest in Bothwell. Bothwell is rich in history and serves as the entrance to Tasmania's renowned Central Highlands, a haven for elusive trout. (The best fishing is just north of Bothwell and downstream from Lake Crescent). The blocks are just 400m away from the River. Another claim to fame for Bothwell is Australia's oldest golf course. Don't miss this great opportunity. Enquire today.To be completed by office DISCLAIMER While proudly assisting home owners to sell since 1999, No Agent Property takes every care to verify the accuracy of the details in this advertisement, but the correctness cannot be guaranteed.
Location
Address
14a Patrick Street, Bothwell TAS 7030
City
Bothwell
Features and Finishes
None
Legal Notice
Our comprehensive database is populated by our meticulous research and analysis of public data. MirrorRealEstate strives for accuracy and we make every effort to verify the information. However, MirrorRealEstate is not liable for the use or misuse of the site's information. The information displayed on MirrorRealEstate.com is for reference only.