Pearblossom HWY, Pearblossom, CA 93543

USD 299900 For Sale
MLS: IV25273882

Property Details

Description

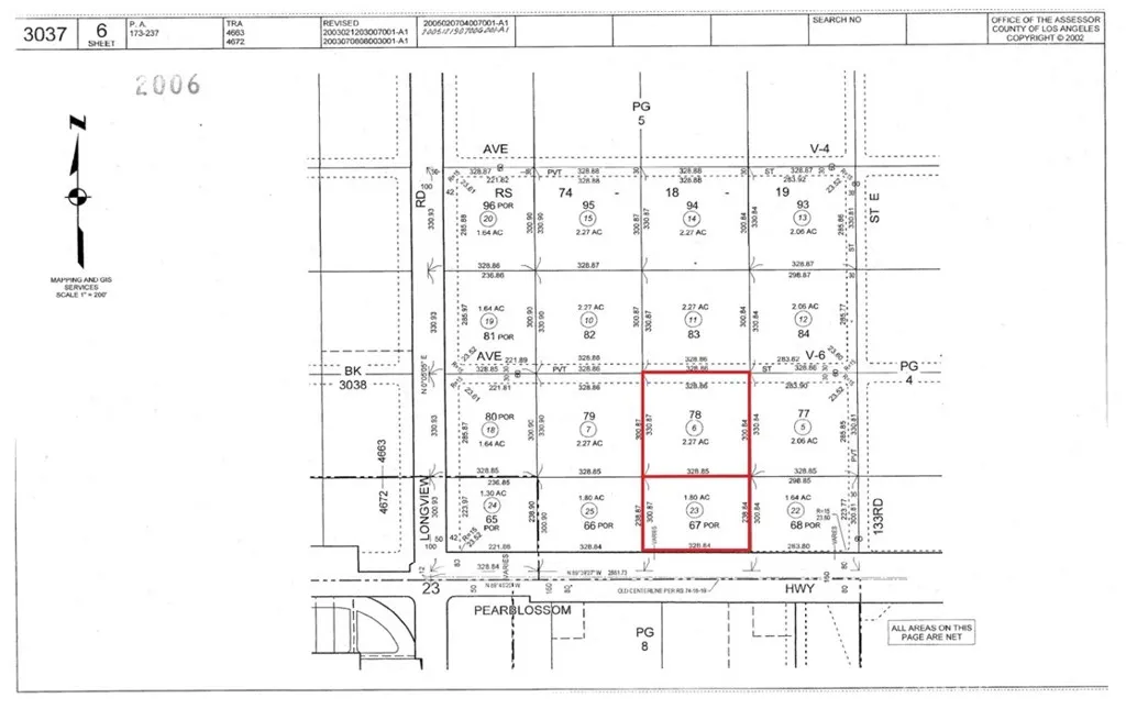
APN: 3037-006-023 & 3037-006-006 Coordinates: 34.506861, -117.893833 Two Parcels being sold together. High Commercial Property (Pearblossom) On Major Highway Lots of Traffic and perfect for a number of different Businesses & Mobile Home Park Approval with 27 sites / 5 mobile homes per acre. Trailer Park 30 site approval by government CUP High Water and Electricity located in street in front of the property. This is a growing community in the Antelope Valley. There is a lot of development happening in the area, do not miss your opportunity to own a prime piece of land off of a route into the Antelope Valley. Property has been surveyed. Acreage on MLS represents total acreage of both parcels combined. 3037-006-023 = 1.82 Acres 3037-006-006 = 2.49 Acres

PROPERTY DETAILS: Square Feet: 18244

EXTERIOR FEATURES: • Lot View: Hill, Mountain, Desert View • Zoning: C-RU • Additional Exterior/Lot Features: Rectangular Lot

LISTING AGENT: Agent: Nydia Del Rio | Office: HOME & LAND SOURCE | Phone: 6614009778 | Email: [email protected]

LISTING INFORMATION: MLS#: IV25273882 | Status: FOR SALE

Location

Address

Pearblossom HWY

City

Pearblossom

Features and Finishes

Exterior Features:

• Lot View: Hill, Mountain, Desert View

• Zoning: C-RU

• Additional Exterior/Lot Features: Rectangular Lot

Legal Notice

Our comprehensive database is populated by our meticulous research and analysis of public data. MirrorRealEstate strives for accuracy and we make every effort to verify the information. However, MirrorRealEstate is not liable for the use or misuse of the site's information. The information displayed on MirrorRealEstate.com is for reference only.

Real Estate Broker
Nydia Del Rio
Brokerage
HOME & LAND SOURCE
Top Tags
Prime piece of land
Likes

0

Views

7

This website uses cookies to ensure you get the best experience. Learn more