Ave B12 Vic 75 Stw Lancaster, Antelope Acres, CA 93536
Property Details
None
None
None
Description
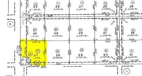
Discover the perfect opportunity to build your future on this flat, 2.25-acre parcel zoned LCA12* in the peaceful Antelope Acres area of West Lancaster. Surrounded by wide-open desert views and stunning skies, this spacious parcel offers privacy and tranquility while still being conveniently located - nearby homes and electricity sit just about half a mile away. Whether you're looking to create a custom home, invest, or bring your rural living vision to life, this property delivers the ideal balance of seclusion and accessibility.
PROPERTY DETAILS: Square Feet: 22464
EXTERIOR FEATURES: • Lot View: Desert View • Zoning: LCA12* • Additional Exterior/Lot Features: Agricultural
LISTING AGENT: Agent: Janet D-Martinez | Office: PARTNER Real Estate | Phone: 8184399044 | Email: [email protected]
LISTING INFORMATION: MLS#: SR25277005 | Status: FOR SALE
Location
Address
Ave B12 Vic 75 Stw Lancaster
City
Antelope Acres
Features and Finishes
Exterior Features:
• Lot View: Desert View
• Zoning: LCA12*
• Additional Exterior/Lot Features: Agricultural
Legal Notice
Our comprehensive database is populated by our meticulous research and analysis of public data. MirrorRealEstate strives for accuracy and we make every effort to verify the information. However, MirrorRealEstate is not liable for the use or misuse of the site's information. The information displayed on MirrorRealEstate.com is for reference only.