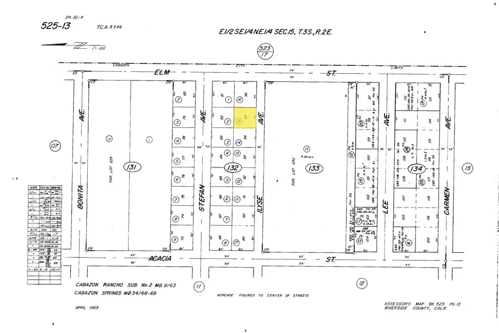
52513201 Lot 95 Mb 034/068, Cabazon, CA 92230

USD 25000 For Sale
MLS: SR26001365

Property Details

Description

Discover the potential of this 5,662-square-foot vacant lot, perfectly positioned near the main road. Zoned Residential, this expansive parcel offers a blank canvas for builders, investors, or homeowners ready to create their dream property. With ample space for a custom single-family home, accessory dwelling unit (ADU), or landscaped outdoor retreat, the possibilities are endless. The lot's generous size provides exceptional privacy, minimal traffic, and a peaceful atmosphere - ideal for families or anyone seeking a tranquil residential environment. Now is the time to secure a piece of land with both immediate value and long-term growth potential. Build, invest, or hold. Three lots to be sold together, APN's: 525-132-013, 525-132-014 and 525-132-015.

PROPERTY DETAILS: Square Feet: 013

EXTERIOR FEATURES: • Zoning: R-A

LISTING AGENT: Agent: Raul Toledo | Office: Century 21 Masters | Phone: 3236297325 | Email: [email protected]

LISTING INFORMATION: MLS#: SR26001365 | Status: FOR SALE

Location

Address

52513201 Lot 95 Mb 034/068

City

Cabazon

Features and Finishes

Exterior Features:

• Zoning: R-A

Legal Notice

Our comprehensive database is populated by our meticulous research and analysis of public data. MirrorRealEstate strives for accuracy and we make every effort to verify the information. However, MirrorRealEstate is not liable for the use or misuse of the site's information. The information displayed on MirrorRealEstate.com is for reference only.

Real Estate Broker
Raul Toledo
Brokerage
Century 21 Masters
Likes

0

Views

15

This website uses cookies to ensure you get the best experience. Learn more