285 Inverdon Road, Bowen QLD 4805
Property Details
2
1
House
Description
Property Details: • Type: House
• Bedrooms: 2 • Bathrooms: 1
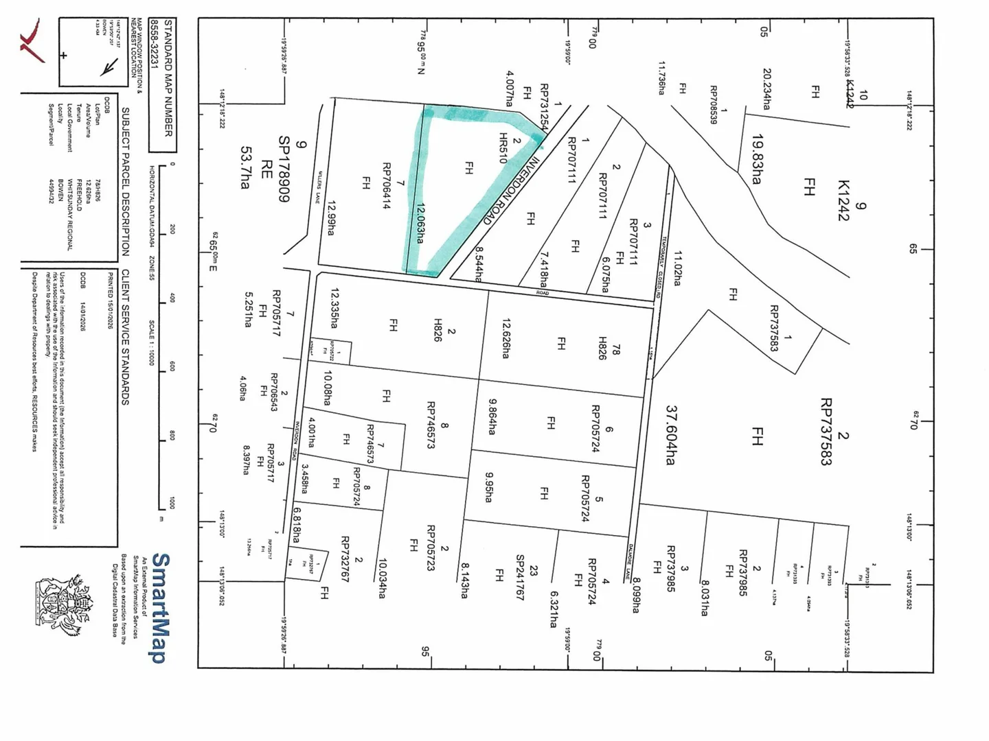
Description: Are you ready for your next project? This one is for you! * 12.06 Ha / 29.79 Acres. * Bore is 12 metres deep, 200 mm steel casing and equipped with a submersible pump with a 15 HP electric motor.. * 16.9 Meg Water license allocation . * Property has an old Queenslander home on it which needs a full complete renovation to make it livable however it is being sold as is. * Plenty of room for more trees or to run some live stock . Why not let the kids have their own horse. * Property has 45 mature mango trees. and is situated among other mango orchards . * Well suited to any sort of agriculture use. * $4200/ year approx. for council rates and charges. (For rating purposes now this property is combined with other properties so we have estimated as close as we can for when this one is sold separately ). For more information contact: Tony Doyle on 0418 777 967
Location
Address
285 Inverdon Road, Bowen QLD 4805
City
Bowen
Features and Finishes
None
Legal Notice
Our comprehensive database is populated by our meticulous research and analysis of public data. MirrorRealEstate strives for accuracy and we make every effort to verify the information. However, MirrorRealEstate is not liable for the use or misuse of the site's information. The information displayed on MirrorRealEstate.com is for reference only.