43600 E 7th Street, Lancaster, CA 93535

USD 400000 For Sale
MLS: OC25270013

Property Details

Description

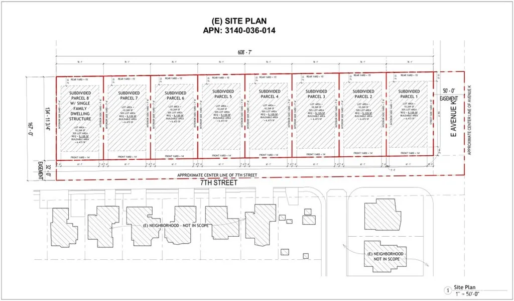
Introducing an exceptional chance to develop in one of Lancaster's most promising growth areas. This 2.16-acre (94,090 SF) residential parcel, APN: 3140-036-014, zoned LRR1-7000, is perfectly positioned for investors or builders seeking a ready-to-go project with impressive upside. A Property Survey along with Preliminary Concept Architectural & Design Plans, including subdivision layouts, site studies, and detailed renderings for eight single-family homes on quarter-acre lots, have already been completed by Drury Architects and are available upon request. Much of the upfront planning is done, making this an ideal plug-and-play development opportunity. The seller has also added value by installing quality fencing around the entire parcel, giving buyers added security, clear boundaries, and reduced prep work ahead of development. Positioned on a flat, fully-fenced corner lot at Avenue K and 7th Street East, this property boasts approximately 608 feet of frontage on 7th Street East and 154 feet of frontage on Avenue K. With all major utilities already at the street (electricity, water, and sewer), developers benefit from lower infrastructure costs and simplified construction logistics. Located in the heart of Lancaster and surrounded by established neighborhoods, schools, businesses, and essential services, this parcel sits in a high-demand residential corridor with strong long-term growth. Whether you're preparing to build immediately or securing land in a rapidly expanding market, this property delivers both value and vision. Don't miss the chance to capitalize on a rare development-ready parcel in one of Lancaster's most sought-after areas!

PROPERTY DETAILS: Square Feet: 216

EXTERIOR FEATURES: • Lot View: Hill, Mountain, City, Desert View • Zoning: LRR1-7000 • Additional Exterior/Lot Features: Corner Lot, Rectangular Lot, Level, Near Public Transit, Paved

LISTING AGENT: Agent: Scott Vu | Office: Nexus Commercial | Phone: 7144545114 | Email: [email protected]

LISTING INFORMATION: MLS#: OC25270013 | Status: FOR SALE

Location

Address

43600 E 7th Street

City

Lancaster

Features and Finishes

Exterior Features:

• Lot View: Hill, Mountain, City, Desert View

• Zoning: LRR1-7000

• Additional Exterior/Lot Features: Corner Lot, Rectangular Lot, Level, Near Public Transit, Paved

Legal Notice

Our comprehensive database is populated by our meticulous research and analysis of public data. MirrorRealEstate strives for accuracy and we make every effort to verify the information. However, MirrorRealEstate is not liable for the use or misuse of the site's information. The information displayed on MirrorRealEstate.com is for reference only.

Real Estate Broker
Scott Vu
Brokerage
Nexus Commercial
Likes

0

Views

2

This website uses cookies to ensure you get the best experience. Learn more