4 South Mundells, Welwyn Garden City, Hertfordshire
Property Details
None
Description
Property Details: • Type: N/A • Tenure: N/A • Floor Area: N/A
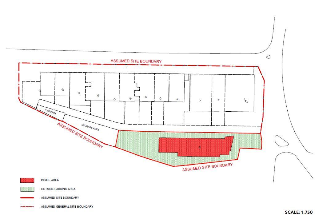
Key Features: • Modern, standalone car showroom and workshop facility • High-specification showroom • Well-presented premises suitable for a range of automotive uses • Additional ground floor facilities including offices, staff lounge, and WC amenities • Secure site extending to approximately 0.65 acres • Extensive on-site parking and forecourt enabling customer display, vehicle storage, or operational yard use
Location: • Nearest Station: N/A • Distance to Station: N/A
Agent Information: • Address: King House, 55Victoria Street, St. Albans, AL1 3ER
Full Description: The property comprises a high-profile showroom and workshop facility with secure yard and extensive forecourt, ideal for automotive, trade counter, or hybrid retail-industrial use. The showroom is finished to a high standard and provides both display space and internal office accommodation. Additional facilities on the ground floor include a workshop, offices, a staff lounge, and WC amenities. To the rear of the showroom is a large workshop area with capacity to store or work on multiple vehicles.The property occupies a secure site extending to approximately 0.65 acres and benefits from surfaced parking areas to the front and sides of the building.
Location
Address
4 South Mundells, Welwyn Garden City, Hertfordshire
City
Welwyn Garden City
Features and Finishes
Modern, standalone car showroom and workshop facility, High-specification showroom, Well-presented premises suitable for a range of automotive uses, Additional ground floor facilities including offices, staff lounge, and WC amenities, Secure site extending to approximately 0.65 acres, Extensive on-site parking and forecourt enabling customer display, vehicle storage, or operational yard use
Legal Notice
Our comprehensive database is populated by our meticulous research and analysis of public data. MirrorRealEstate strives for accuracy and we make every effort to verify the information. However, MirrorRealEstate is not liable for the use or misuse of the site's information. The information displayed on MirrorRealEstate.com is for reference only.