20554 E H-8 Avenue, Hi Vista, CA 93535

USD 17500 For Sale
MLS: OC25269380

Property Details

Description

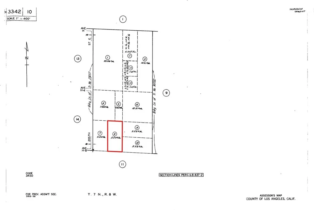
Discover 5.24 sprawling acres in the peaceful Hi Vista area of Lancaster - an ideal opportunity for anyone seeking wide-open space, natural beauty, and future potential. This rectangular parcel, APN: 3342-010-008, Los Angeles County, offers approximately 334 feet of frontage on East Avenue H-8 and sits just off 205th Street East, providing convenient dirt-road access while maintaining the quiet seclusion the High Desert is known for. Surrounded by panoramic desert and mountain views, this property is also located near the Butte Valley Wildflower area, where vibrant seasonal blooms paint the landscape each spring. Whether you're looking for a recreational escape, a long-term investment, or a future homesite, this parcel delivers the serene environment and expansive setting that Hi Vista is admired for. A great opportunity to own your own piece of the Antelope Valley so come explore the possibilities today by using the neighbor's address, 20211 E Avenue H-12, Lancaster, CA 93535, then use the Southwest corner GPS coordinates: 34.712445, -117.764124.

PROPERTY DETAILS: Square Feet: 52384

EXTERIOR FEATURES: • Zoning: Lca11* • Additional Exterior/Lot Features: Desert Back, Desert Front, Rectangular Lot

LISTING AGENT: Agent: Scott Vu | Office: Nexus Commercial | Phone: 7144545114 | Email: [email protected]

LISTING INFORMATION: MLS#: OC25269380 | Status: FOR SALE

Location

Address

20554 E H-8 Avenue

City

Hi Vista

Features and Finishes

Exterior Features:

• Zoning: Lca11*

• Additional Exterior/Lot Features: Desert Back, Desert Front, Rectangular Lot

Legal Notice

Our comprehensive database is populated by our meticulous research and analysis of public data. MirrorRealEstate strives for accuracy and we make every effort to verify the information. However, MirrorRealEstate is not liable for the use or misuse of the site's information. The information displayed on MirrorRealEstate.com is for reference only.

Real Estate Broker
Scott Vu
Brokerage
Nexus Commercial
Top Tags
Hi Vista area wide-open space future potential
Likes

0

Views

1

This website uses cookies to ensure you get the best experience. Learn more