11942 Allegheny Street, Sun Valley, CA 91352

USD 5290000 For Sale
MLS: PW25266253

Property Details

Description

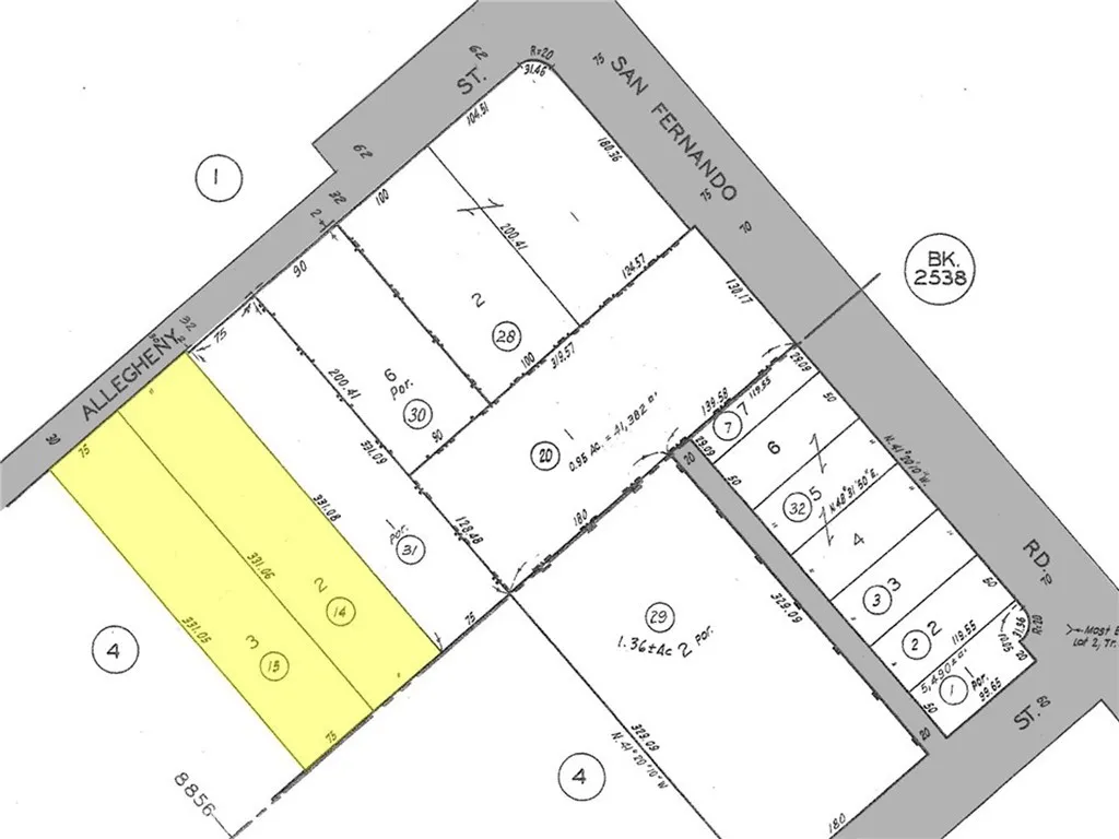
The subject property is a 1.14 acre industrial yard located at 11942-11950 Allegheny Street in the city of Sun Valley. This site is composed of two individual parcels of land with APNs #2631-003-014 & 015. The site is located on Allegheny Street just a block south of San Fernando Road and less than a mile north of the I-5 freeway. The site is currently leased out to Best Trucking Services Inc. who has been a tenant since 2018. The term of their existing lease expires in February of 2028 at which time they will have one single remaining 5-year option. Best Trucking is currently paying $0.29 per square foot for the land at this time (gross lease), however the 5-year option lease rate will be at Prevailing Market Rates which is going to be an increase if they decide to stay. There are two small houses on the property which can be used as offices. The houses are 1,150 square feet and 720 square feet and they were built in 1947. There is also a newer 900 square foot structure on site that is used as a garage. This property is flat and rectangular in shape with 150' of frontage along Allegheny Street and a depth of 331'. The site is fully fenced and has two gated entry points along Allegheny Street. Zoning on this site is [T][Q] M1-1-CUGU which is a Limited Industrial zoning classification. The General Plan Land Use is Limited Manufacturing. Height District 1 in the M1 zone allows for a FAR of 1.5:1 and does not indicate a height limit. The subject property is surrounded by industrial buildings to the north and to the east along with several small to mid-sized multifamily buildings to the south along Allegheny Street. Directly across the street from the property is Allegheny Park which is a new 1-acre city public park, and the Alliance 6-12 Charter Public School. M1 industrial sites of 1+ acres are very difficult to find in the San Fernando Valley and the market is extremely supply-restricted. This property should be of great interest to both investors and users looking to find an industrial site with great access to a major freeway.

PROPERTY DETAILS: Square Feet: 11405

EXTERIOR FEATURES: • Lot View: Greenbelt • Lot Dimensions: 150' x 331' • Zoning: [T][Q] M1-1-CUGU • Additional Exterior/Lot Features: Rectangular Lot, Level

LISTING AGENT: Agent: Matthew Wenzel | Office: Marcus & Millichap | Phone: 7148752878 | Email: [email protected]

LISTING INFORMATION: MLS#: PW25266253 | Status: FOR SALE

Location

Address

11942 Allegheny Street

City

Sun Valley

Features and Finishes

Exterior Features:

• Lot View: Greenbelt

• Lot Dimensions: 150' x 331'

• Zoning: [T][Q] M1-1-CUGU

• Additional Exterior/Lot Features: Rectangular Lot, Level

Legal Notice

Our comprehensive database is populated by our meticulous research and analysis of public data. MirrorRealEstate strives for accuracy and we make every effort to verify the information. However, MirrorRealEstate is not liable for the use or misuse of the site's information. The information displayed on MirrorRealEstate.com is for reference only.

Real Estate Broker
Matthew Wenzel
Brokerage
Marcus & Millichap
Likes

0

Views

40

This website uses cookies to ensure you get the best experience. Learn more