6 & 7 Lincoln Highway, North Shields SA 5607
Property Details
Vacant Land
Description
Property Details: • Type: Vacant Land
• Bedrooms: 0 • Bathrooms: 0
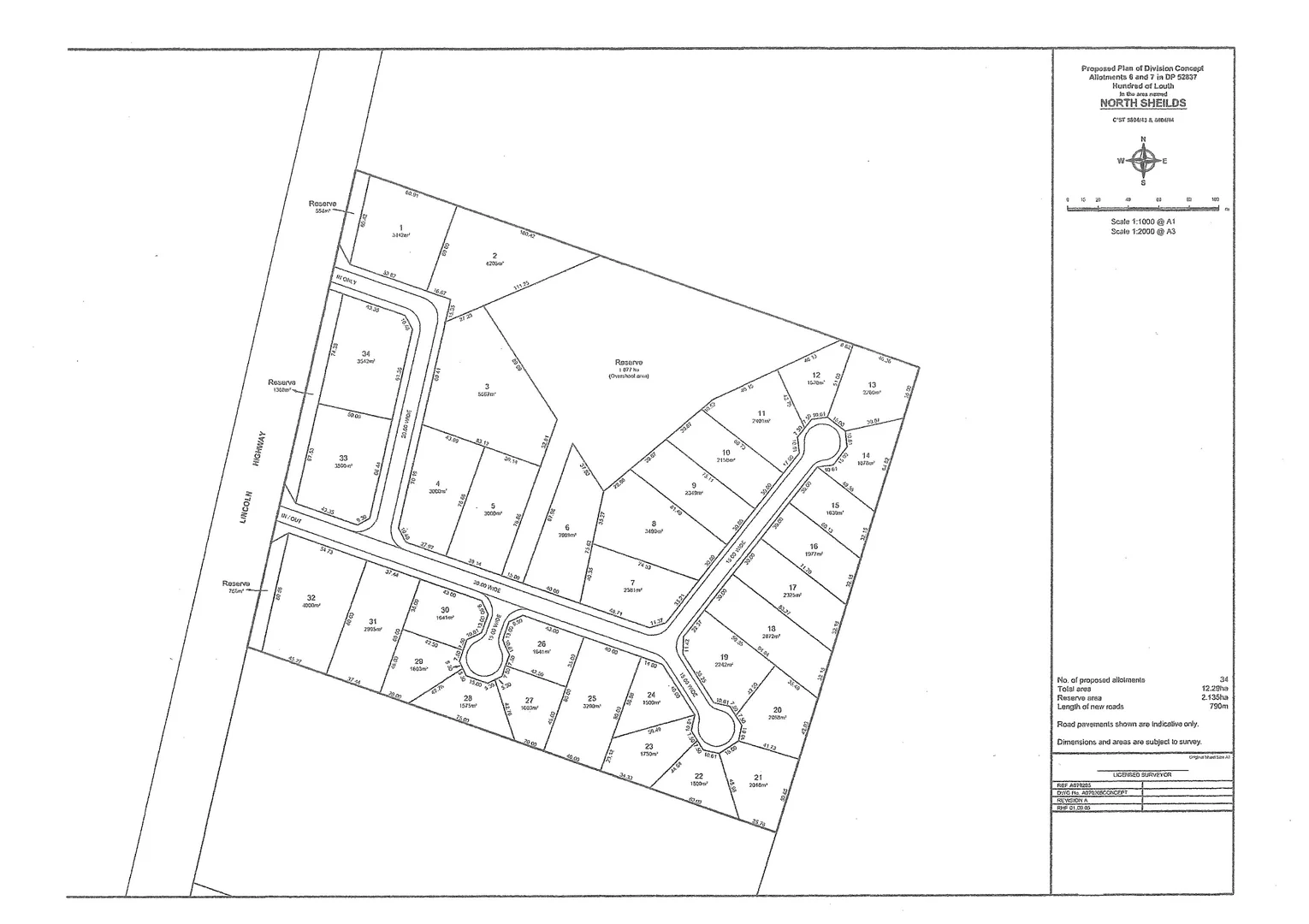
Description: Imagine the boundless potential of securing not just one but two prime allotments fronting the iconic Lincoln Highway in North Shields, next to the Port Lincoln Airport. These rare gems are not only expansive but also strategically zoned for infrastructure, opening doors to an array of development possibilities. Lot 6: Spanning 6.047 hectares, this allotment provides an impressive canvas for projects that require substantial space, making it ideal for industrial, utility, or even unique commercial ventures. The highway frontage offers visibility and accessibility. Lot 7: Covering 6.240 hectares, with similar zoning and ample room, it mirrors the potential of Lot 6, creating a unique opportunity for complementary development across the two properties. Whether you envision a cohesive infrastructure project or individual enterprises, the versatility here is second to none. These two allotments, together totalling over 12 hectares, represent an exciting land acquisition opportunity in North Shields. Situated along the Lincoln Highway, a crucial thoroughfare, they offer prime positioning. This dual-allotment setup could be your gateway to large-scale operations, expansive facilities, or a forward-thinking development. Mains water and power are available but not connected. There is a proposed plan of division concept in place for creating 34 industrial allotments, ranging from 1,500m2 - 5,567m2. If you're ready to explore the possibilities, these properties could be the foundation of a legacy project that aligns with your ambition and vision. *All information provided has been obtained from sources we believe to be accurate, however, we cannot guarantee the information is accurate and we accept no liability for any errors or omissions (including but not limited to a property's land size, boundary overlays, floor plans and size, building age and condition). Interested parties should make their own enquiries and obtain their own legal advice.
Location
Address
6 & 7 Lincoln Highway, North Shields SA 5607
City
North Shields
Features and Finishes
None
Legal Notice
Our comprehensive database is populated by our meticulous research and analysis of public data. MirrorRealEstate strives for accuracy and we make every effort to verify the information. However, MirrorRealEstate is not liable for the use or misuse of the site's information. The information displayed on MirrorRealEstate.com is for reference only.