7-12 Stage 3 -Avalon Estate, Wollongbar NSW 2477
Property Details
Vacant Land
Description
Property Details: • Type: Vacant Land
• Bedrooms: 0 • Bathrooms: 0
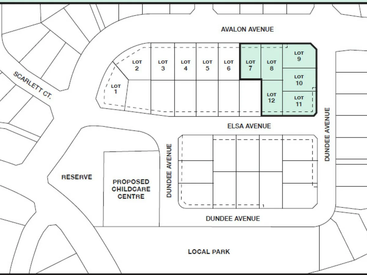
Description: Ballina Shire Council are pleased to present six (6) vacant lots in Stage 3 of Avalon Estate within the lovely village of Wollongbar. All lots are registered and ready to build on, no waiting! The six lots are zoned "R3 - Medium Density Residential" and are suitable for Duplex development (STCA). Lot 7/33 Avalon Ave - 600.2 sqm - SOLD Lot 8/31 Avalon Ave - 600.2 sqm $565,000 Lot 9/29 Avalon Ave - 641.8 sqm (corner block) $570,000 Lot 10/31 Dundee Ave - 601.3 sqm $555,000 Lot 11/11 Elsa Ave - 653.5 sqm (corner block) $575,000 Lot 12/9 Elsa Ave - 600.3 sqm - UNDER OFFER For more information, please contact LJ Hooker Alstonville office to express your interest.
Location
Address
7-12 Stage 3 -Avalon Estate, Wollongbar NSW 2477
City
Wollongbar
Features and Finishes
None
Legal Notice
Our comprehensive database is populated by our meticulous research and analysis of public data. MirrorRealEstate strives for accuracy and we make every effort to verify the information. However, MirrorRealEstate is not liable for the use or misuse of the site's information. The information displayed on MirrorRealEstate.com is for reference only.