755 Lottah Road, Lottah TAS 7216
Property Details
Vacant Land
Description
Property Details: • Type: Vacant Land
• Bedrooms: 0 • Bathrooms: 0
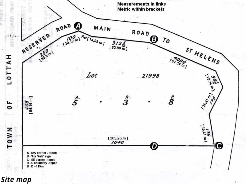
Description: Phone enquiries - please call 1300 594 794 and quote property ID 36958. 5.8 acres (2.347 hectares) of vacant land currently carrying light scrub and man fern as well as regrowth comprising mountain ash, brown top, blackwood and mature silver wattle. This was originally the residence of the Anchor Mine manager at the turn of last century. Blue Tier is one of the two 'glacial refugias' in Tasmania which preserved plants killed elsewhere during the last ice age. These spread to colonize the rest of the island during subsequent warming. At its widest the block is 209 m along the southern boundary and ?115 m deep along the north-south axis. It is unique in being the only sizable block within several km of Lottah that is relatively level. With minimal clearing the mountain peaks should be visible from this block. Address: P755 Lottah Road, Lottah, Tasmania 7216 GPS coordinates (north boundary): 41.22515°S 148.02783°E North facing aspect at ?425 m altitude Bounded by Lottah Road to east and north providing 250 m of road frontage; a road reserve runs along the west boundary - see diagram 26 km from St. Helens with usual amenities and attendant vices; 1 km from Lottah junction 7 km all-weather gravel road to Tasman Highway (& school bus) Power pole within 100 m of boundary 1300 mm annual rainfall Stone's throw from Lottah Recreation Ground (still community property but fallen into disuse) - 1 km from Australia's second suikinkutsu (water harp) An hour's drive from Bay of Fires, reported to have been voted 'one of the two most beautiful beaches in the world' by Conde Nast Traveller; shrug. Gateway to two mountain bike trails: a) Blue Tier to Weldborough and b) Blue Tier to Swimcart Beach. Current council rates ?$1000.00 pa South and west boundary points have been established by a registered surveyor; north and east borders are bounded by Lottah Road. Land is offered 'as is' and buyer will need to clear whatever area is necessary for proposed use. Inquiry to local council established that the block is suitable for residential use but buyer will need to re-confirm this. It may have commercial potential in view of the interest in mountain biking but prospective buyers will need to discuss the matter with council. For more information on the area check the BlueTier website. DISCLAIMER While proudly assisting home owners to sell since 1999, No Agent Property takes every care to verify the accuracy of the details in this advertisement, but the correctness cannot be guaranteed.
Location
Address
755 Lottah Road, Lottah TAS 7216
City
Lottah
Features and Finishes
None
Legal Notice
Our comprehensive database is populated by our meticulous research and analysis of public data. MirrorRealEstate strives for accuracy and we make every effort to verify the information. However, MirrorRealEstate is not liable for the use or misuse of the site's information. The information displayed on MirrorRealEstate.com is for reference only.