807 Stage 8C "Parklands Estate" Jane Street, Crows Nest QLD 4355
Property Details
Vacant Land
Description
Property Details: • Type: Vacant Land
• Bedrooms: 0 • Bathrooms: 0
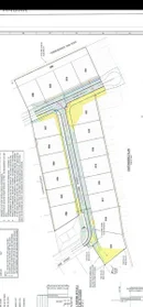
Description: Discover the perfect opportunity to build your dream home at Stage C Parklands Estate in Crows Nest. This ultra-affordable residential land offers a blank canvas for you to create a bespoke living space tailored to your lifestyle. With its tranquil setting and family-friendly community, this is the ideal location for first-time buyers or savvy investors looking to enter the property market. Lots available: Stage 8(c): Lot 806 - 803m² Lot 807 - 913m² Lot 808 - 910m² Lot 809 - 910m² Lot 810 - 910m² Lot 811 - 910m² Lot 812 - 1066m² Lot 813 - 862m² Crows Nest is a charming town known for its welcoming atmosphere and vibrant community spirit. Enjoy the convenience of local amenities, including parks, shops, and cafes, all within easy reach. The area also boasts excellent access to educational facilities, making it a great choice for young families looking to lay down roots in a supportive environment. Don't miss out on this rare chance to secure an affordable piece of land in a sought-after location. Whether you're planning to build your forever home or invest in your future, this opportunity won't last long. Act now to take the first step towards turning your vision into reality! Inspections by appointment Kev Perry 0408 108 785 All About Real Estate Qld www.allaboutre.com.au E: [email protected] Servicing Darling Downs: We Sell Your Home Not Your House Where a Handshake Still Matters
Location
Address
807 Stage 8C "Parklands Estate" Jane Street, Crows Nest QLD 4355
City
Crows Nest
Features and Finishes
None
Legal Notice
Our comprehensive database is populated by our meticulous research and analysis of public data. MirrorRealEstate strives for accuracy and we make every effort to verify the information. However, MirrorRealEstate is not liable for the use or misuse of the site's information. The information displayed on MirrorRealEstate.com is for reference only.