80th Street East, Lancaster, CA 93535

USD 125000 For Sale
MLS: SR25272843

Property Details

Description

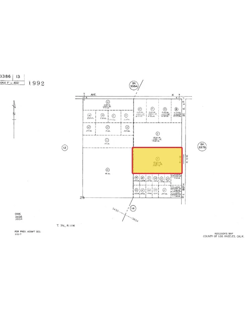
**Exceptional 20-acre residential development opportunity within the City of Lancaster limits, offering direct frontage on 80th Street East and located approximately 700 feet south of Avenue K. This rare parcel sits in a peaceful agricultural setting surrounded by farmland, providing open views, privacy, and an ideal location for estate-style living or a boutique subdivision.** Zoned RR2.5 / Residential 2.3-2.5-acre minimums (City of Lancaster)**, the property offers potential for **Approximately Six Custom Home sites Plus ADUs** (buyer to verify). The land is level and usable, creating an efficient layout for future development. Recent activity near the southwest corner of Avenue K and 80th Street East shows utility improvements, including a power meter and water line installations (buyer to verify availability and service locations). This increases confidence for near-term development and long-term value. With close proximity to paved Avenue K and convenient access to Lancaster's amenities, schools, and commuter routes, the property combines a rural feel with city convenience. **Highlights:** Approx. 20 acres of level land **Within the City of Lancaster limits** Direct frontage on 80th St E ~700 ft south of Avenue K **Zoning: RR2.5/ Residential 2.3-2.5-acre minimums** Potential for ~6 homes + ADUs (buyer to verify) Utilities nearby - power and water activity observed at Ave K & 80th St E Surrounded by farmland with expansive views Ideal for developers, builders, investors, or estate buyers A rare chance to secure a large, versatile parcel in Lancaster's growth path - perfect for development, long-term investment, or custom estate creation.

PROPERTY DETAILS: Square Feet: 1988

EXTERIOR FEATURES: • Lot View: Mountain, Desert View • Zoning: RR2.5 • Additional Exterior/Lot Features: Agricultural

LISTING AGENT: Agent: April Bartlett | Office: Block Properties,Inc. | Phone: 6614788300 | Email: [email protected]

LISTING INFORMATION: MLS#: SR25272843 | Status: FOR SALE

Location

Address

80th Street East

City

Lancaster

Features and Finishes

Exterior Features:

• Lot View: Mountain, Desert View

• Zoning: RR2.5

• Additional Exterior/Lot Features: Agricultural

Legal Notice

Our comprehensive database is populated by our meticulous research and analysis of public data. MirrorRealEstate strives for accuracy and we make every effort to verify the information. However, MirrorRealEstate is not liable for the use or misuse of the site's information. The information displayed on MirrorRealEstate.com is for reference only.

Real Estate Broker
April Bartlett
Brokerage
Block Properties,Inc.
Top Tags
Zoned RR2.5
Likes

0

Views

15

This website uses cookies to ensure you get the best experience. Learn more