2 California, Hemet, CA 92545

USD 125000 For Sale
MLS: SW25272485

Property Details

Description

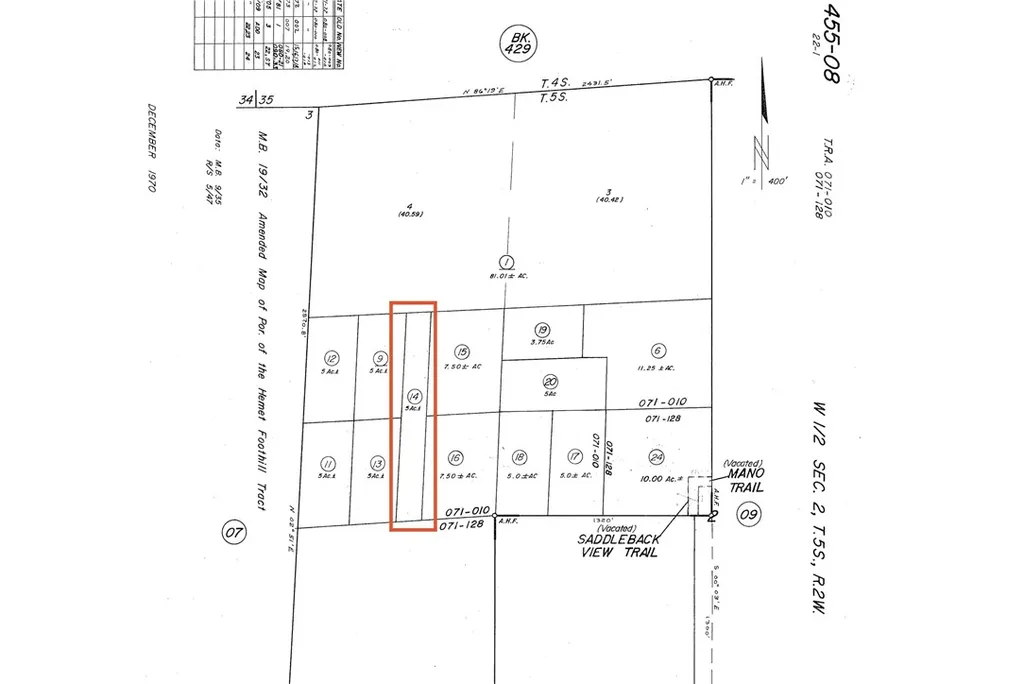
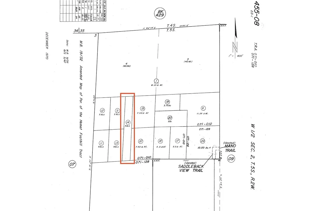
Build a beautiful home and ranch/farm on 5 acre property near the Maze Stone park. Ride and play among the boulders in the hills and enjoy the outstanding views of the Maze Stone ranches, valley and hills, all the way to Diamond Valley Lake and Mount San Jacinto. California Avenue access is along the paved road to the Cul De Sac at the north end of California Avenue leading to the lot allowing quiet solitude.Respect the neighbor's private property, be very careful if you venture into the lot, and watch for snakes and wildlife. Lot 14 on assessor map.

PROPERTY DETAILS: Square Feet: 5

EXTERIOR FEATURES: • Lot View: Mountain • Zoning: W2

LISTING AGENT: Agent: Salvador Correa | Office: Impact Real Estate | Phone: 9519702713 | Email: [email protected]

LISTING INFORMATION: MLS#: SW25272485 | Status: FOR SALE

Location

Address

2 California

City

Hemet

Features and Finishes

Exterior Features:

• Lot View: Mountain

• Zoning: W2

Legal Notice

Our comprehensive database is populated by our meticulous research and analysis of public data. MirrorRealEstate strives for accuracy and we make every effort to verify the information. However, MirrorRealEstate is not liable for the use or misuse of the site's information. The information displayed on MirrorRealEstate.com is for reference only.

Real Estate Broker
Salvador Correa
Brokerage
Impact Real Estate
Likes

0

Views

7

This website uses cookies to ensure you get the best experience. Learn more