Foothill Boulevard, Sylmar, CA 91342

USD 1650000 For Sale
MLS: SR25282438

Property Details

Description

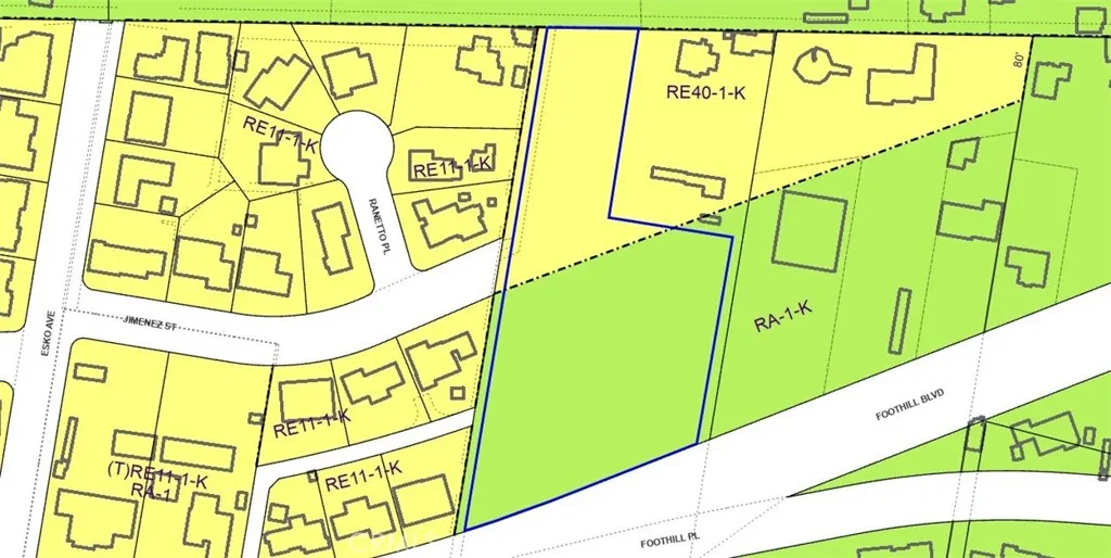
Rare 2.5-acre split-zoned parcel with Foothill Blvd frontage. Beautiful piece of land with mature shade trees, bordered by peaceful equestrian properties. Potential for multiple estate or residential homesites subject to City approvals. Large, irregular parcel with zoning boundary already established, providing flexibility in site planning, access, and future development. See ZIMAS zoning map in pictures. Ideal opportunity for developers or owner-builders seeking low-density residential development in an established hillside neighborhood just minutes from Burbank, Glendale and Hollywood. Commercial use or quasi-commercial use may be possible; current owner was able to obtain a conditional use permit to operate their nonprofit therapeutic riding program. Buyer to do their own investigations regarding development potential with the City of Los Angeles. Seller may carry.

PROPERTY DETAILS: Square Feet: 25763

EXTERIOR FEATURES: • Lot View: Mountain • Zoning: RE40-1-K and RA-1-K

LISTING AGENT: Agent: Raquel Marchant | Office: Real Brokerage Technologies, Inc. | Phone: 6612120201 | Email: [email protected]

LISTING INFORMATION: MLS#: SR25282438 | Status: FOR SALE

Location

Address

Foothill Boulevard

City

Sylmar

Features and Finishes

Exterior Features:

• Lot View: Mountain

• Zoning: RE40-1-K and RA-1-K

Legal Notice

Our comprehensive database is populated by our meticulous research and analysis of public data. MirrorRealEstate strives for accuracy and we make every effort to verify the information. However, MirrorRealEstate is not liable for the use or misuse of the site's information. The information displayed on MirrorRealEstate.com is for reference only.

Real Estate Broker
Raquel Marchant
Brokerage
Real Brokerage Technologies, Inc.
Likes

0

Views

31

This website uses cookies to ensure you get the best experience. Learn more