30002 263rd, Llano, CA 93544
Property Details
None
None
None
Description
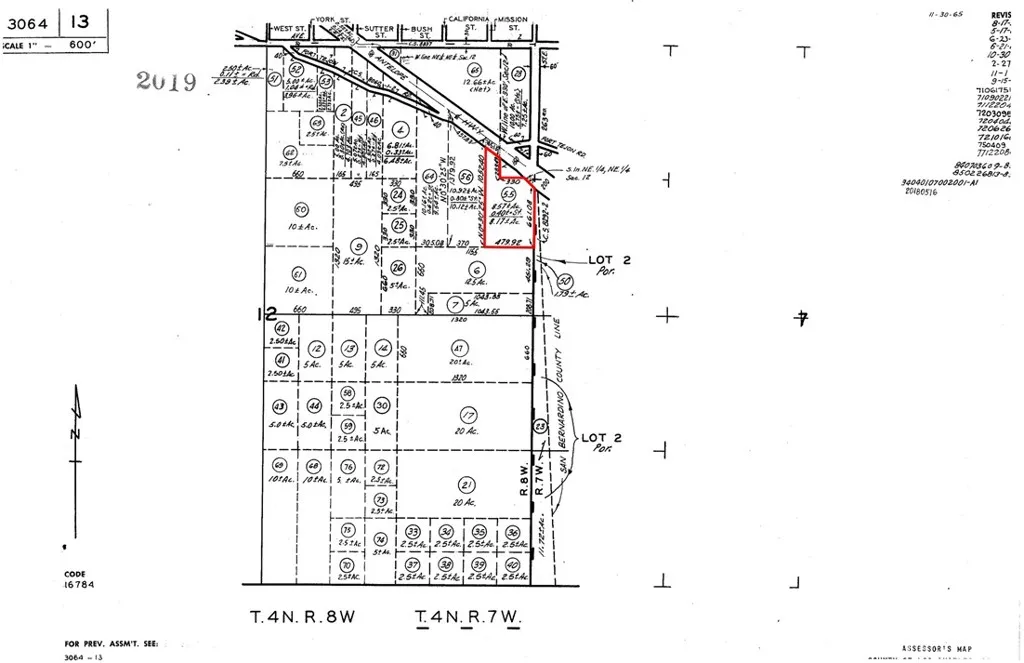
Discover the perfect blend of accessibility, space, and opportunity with this expansive 7.1-acre parcel (309,151 SF), APN: 3064-013-055, Los Angeles located just northwest of Pinon Hills, off California Highway 138 (Antelope Highway) at 263rd Street East in Llano, CA 93544. Boasting 551 feet of prime highway frontage, this property offers exceptional visibility and convenience for both residential and potential commercial use. Electricity is already available at street level, and with a neighbor nearby at 30000 263rd Street East, you'll appreciate the added sense of community while maintaining your privacy and open desert views. The level terrain and easy access make this parcel ideal for building your custom home, ranch, or investment property in a fast-growing high desert area. Enjoy sweeping mountain and valley views while being just a short drive from Lancaster, Palmdale, Pearblossom, and Wrightwood. Whether you're looking for a peaceful escape or a smart land investment with excellent highway exposure, this property is sure to deliver both.
PROPERTY DETAILS: Square Feet: 70971
EXTERIOR FEATURES: • Lot View: Hill, Mountain • Zoning: LCA11* • Additional Exterior/Lot Features: Irregular Lot
LISTING AGENT: Agent: Scott Vu | Office: Nexus Commercial | Phone: 7144545114 | Email: [email protected]
LISTING INFORMATION: MLS#: OC25258070 | Status: FOR SALE
Location
Address
30002 263rd
City
Llano
Features and Finishes
Exterior Features:
• Lot View: Hill, Mountain
• Zoning: LCA11*
• Additional Exterior/Lot Features: Irregular Lot
Legal Notice
Our comprehensive database is populated by our meticulous research and analysis of public data. MirrorRealEstate strives for accuracy and we make every effort to verify the information. However, MirrorRealEstate is not liable for the use or misuse of the site's information. The information displayed on MirrorRealEstate.com is for reference only.