N East B Street, Alturas, CA 91601

USD 138000 For Sale
MLS: DW25260265

Property Details

Description

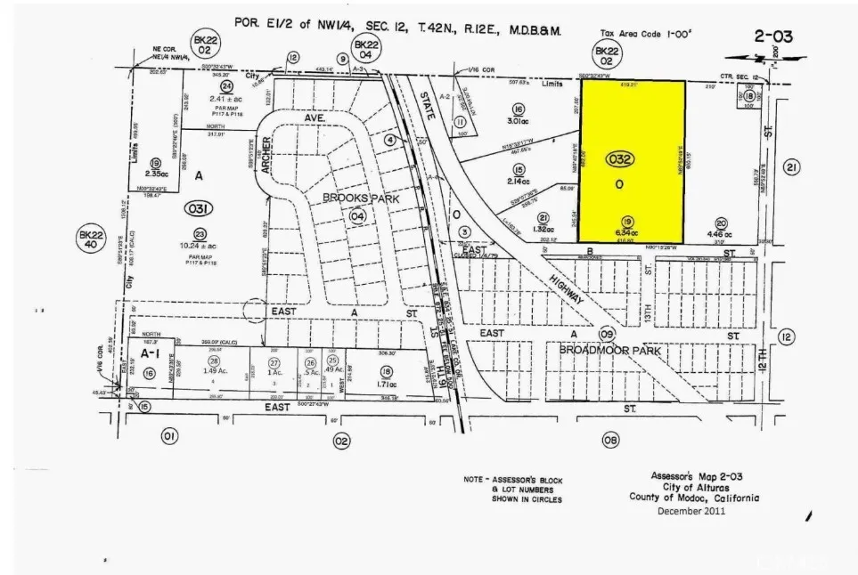
Prime residential development opportunity in the City of Alturas, Modoc County. This expansive 276,170 sq ft (approximately 6.34 acres) parcel is zoned RES ACG, providing flexibility for a variety of residential uses (buyer to verify all permitted uses with the City of Alturas Planning Department). The property offers an excellent opportunity for investors, developers, or homebuilders seeking a well-located site with ample space to design single-family homes, multi-unit residences, or other residential projects. With generous lot size, strong development potential, and room for creative planning, this parcel is ideal for anyone looking to build in a growing Northern California community. Whether you're planning a new housing development or a private estate, this land provides the space and flexibility to bring your residential vision to life.

PROPERTY DETAILS: Square Feet: 634

EXTERIOR FEATURES: • Zoning: RES ACG • Additional Exterior/Lot Features: Level

LISTING AGENT: Agent: Gabriel Diaz | Office: Pak Home Realty | Phone: 3238558656 | Email: [email protected]

LISTING INFORMATION: MLS#: DW25260265 | Status: FOR SALE

Location

Address

N East B Street

City

Alturas

Features and Finishes

Exterior Features:

• Zoning: RES ACG

• Additional Exterior/Lot Features: Level

Legal Notice

Our comprehensive database is populated by our meticulous research and analysis of public data. MirrorRealEstate strives for accuracy and we make every effort to verify the information. However, MirrorRealEstate is not liable for the use or misuse of the site's information. The information displayed on MirrorRealEstate.com is for reference only.

Real Estate Broker
Gabriel Diaz
Brokerage
Pak Home Realty
Top Tags
Well-located site Generous lot size
Likes

0

Views

17

This website uses cookies to ensure you get the best experience. Learn more