Rice Road, Desert Center, CA 92239

USD 345000 For Sale
MLS: SW25282125

Property Details

Description

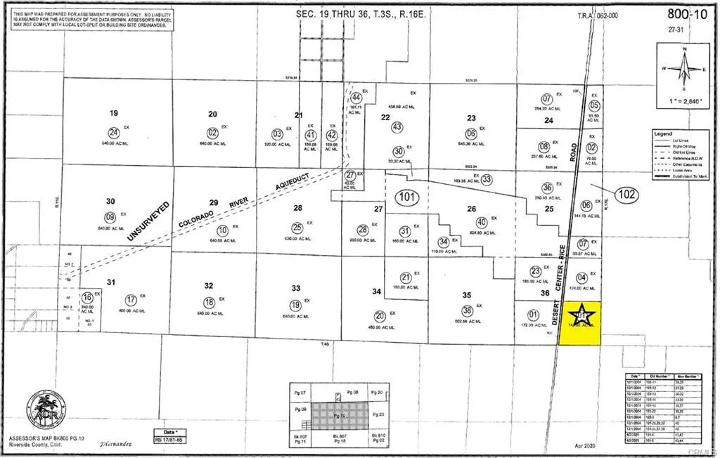
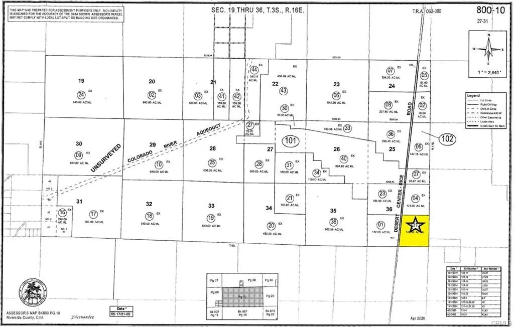
142 acre flat parcel on Rice Road with approximately 0.5 mile of frontage along Highway 177. Broker-owned property with owner financing available; terms negotiable. The land is generally level and offers a wide range of potential uses including solar development, mitigation land, agricultural use, or a private compound/estate setting. Utilities such as electric and phone are in the area, and wells are present nearby. Front corner markers were reportedly placed years ago. ****No soils reports, surveys, etc., have been done. Buyer and buyer's agent to verify all information with the city or county for allowable uses and requirements and rely on their own investigations. **Buyer responsible for checking zoning, utilities, permits and exact property boundaries. ****

PROPERTY DETAILS: Square Feet: 14192

EXTERIOR FEATURES: • Lot View: Desert View • Zoning: NA • Fence: None • Additional Exterior/Lot Features: Rectangular Lot

LISTING AGENT: Agent: Steve Welty | Office: Steve Welty & Associates Inc | Phone: 7607735538 | Email: [email protected]

LISTING INFORMATION: MLS#: SW25282125 | Status: FOR SALE

Location

Address

Rice Road

City

Desert Center

Features and Finishes

Exterior Features:

• Lot View: Desert View

• Zoning: NA

• Fence: None

• Additional Exterior/Lot Features: Rectangular Lot

Legal Notice

Our comprehensive database is populated by our meticulous research and analysis of public data. MirrorRealEstate strives for accuracy and we make every effort to verify the information. However, MirrorRealEstate is not liable for the use or misuse of the site's information. The information displayed on MirrorRealEstate.com is for reference only.

Real Estate Broker
Steve Welty
Brokerage
Steve Welty & Associates Inc
Likes

0

Views

12

This website uses cookies to ensure you get the best experience. Learn more