Bradford, BD5 8ET

GBP 50000 For Sale

Property Details

Property Type

Land

Description

Property Details: • Type: Land • Tenure: N/A • Floor Area: N/A

Key Features:

Location: • Nearest Station: N/A • Distance to Station: N/A

Agent Information: • Address: 218 Lilycroft Road, Heaton, Bradford, BD9 5AL

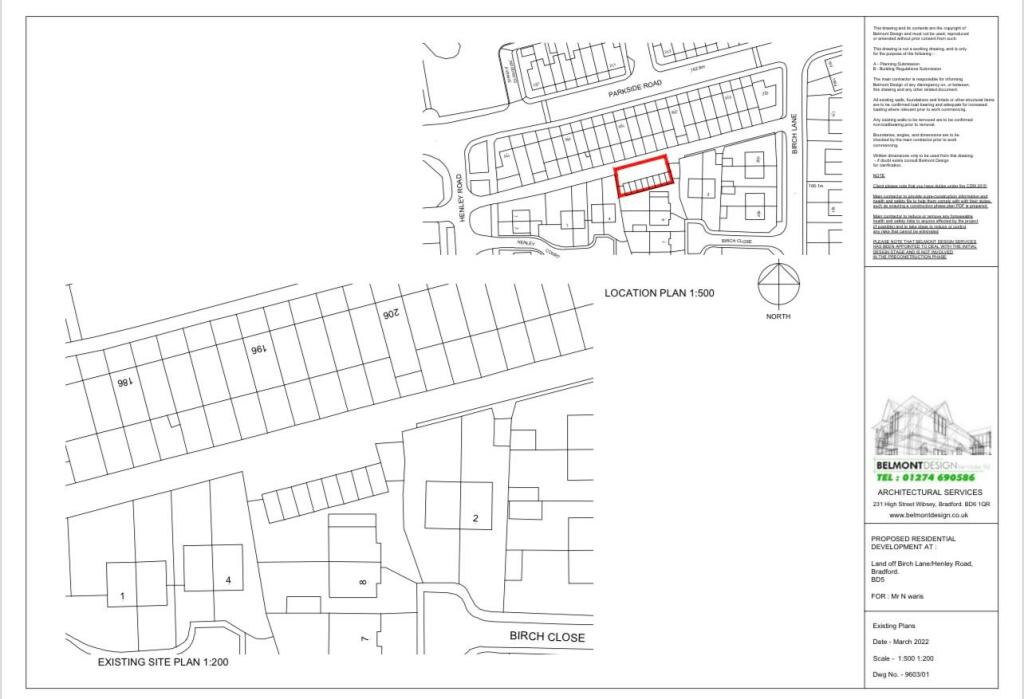
Full Description: CURRENTLY HAS EIGHT GARAGES BUILT ON IT (SEE PLAN) PLANNING IS TO BE APPLIED FOR TWO BEDROOM, SINGLE-STOREY BUNGALOW

Location

Address

Bradford, BD5 8ET

City

Bradford

Legal Notice

Our comprehensive database is populated by our meticulous research and analysis of public data. MirrorRealEstate strives for accuracy and we make every effort to verify the information. However, MirrorRealEstate is not liable for the use or misuse of the site's information. The information displayed on MirrorRealEstate.com is for reference only.

Real Estate Broker
Bradford Estates, Bradford
Brokerage
Bradford Estates, Bradford
Top Tags
Bradford N/A Land
Likes

0

Views

24

This website uses cookies to ensure you get the best experience. Learn more