Centurion Road, Brighton, BN1
Property Details
Land
Description
Property Details: • Type: Land • Tenure: N/A • Floor Area: N/A
Key Features: • City Centre Location • Planning Permission for Garage & Workshop • Planning Permission App BH2023/00789
Location: • Nearest Station: Brighton Station • Distance to Station: 0.2 miles
Agent Information: • Address: Covering Nationwide
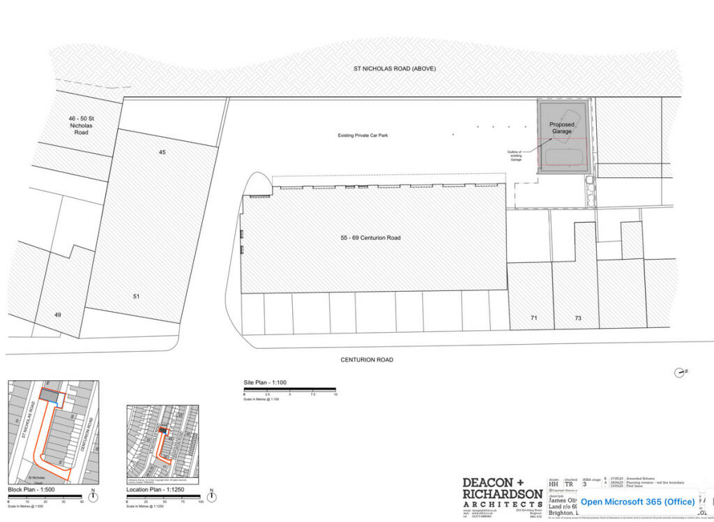
Full Description: Situated behind 55 - 69 Centurion Road the plot provides parking for multiple cars, measures approx 6 meters deep and 12 meters wide and has planning permission BH2023/00789 to build a garage and workshop/store.This central location in the popular Clifton Hill area is just a few minutes on foot from Brighton Station (0.2 miles) and the main shopping centre (0.4 miles). There is potential for additional floors above the consented garage subject to the necessary consents.BrochuresBrochure 1
Location
Address
Centurion Road, Brighton, BN1
City
Brighton
Features and Finishes
City Centre Location, Planning Permission for Garage & Workshop, Planning Permission App BH2023/00789
Legal Notice
Our comprehensive database is populated by our meticulous research and analysis of public data. MirrorRealEstate strives for accuracy and we make every effort to verify the information. However, MirrorRealEstate is not liable for the use or misuse of the site's information. The information displayed on MirrorRealEstate.com is for reference only.