Cheriton, Farlington and Roehampton Court, Cranleigh Rise, Rumney, Cardiff, CF3 4AN

GBP 53000 For Sale

Property Details

Bedrooms

2

Property Type

Flat

Description

Property Details: • Type: Flat • Tenure: N/A • Floor Area: N/A

Key Features: • Planning permission granted • 3 x loft apartments • Parking spaces • Excellent investment opportunity

Location: • Nearest Station: N/A • Distance to Station: N/A

Agent Information: • Address: 108 Lower Dock Street, Newport, NP20 2AG

Full Description: FOR SALE BY ONLINE AUCTION - Lot 49 - Planning Permission for 3 x Two Bedroom Apartments ONLINE AUCTION from 4th-6th FEBRUARY

Planning permission has been granted to create three apartments in the roof space of three established blocks of flats. Each two bedroom apartment will require roof extension to create a spacious dormer apartment at the rear of each block. Each apartment will have a 999-year lease on a peppercorn ground rent.

The site currently comprises 3 x three storey apartment buildings each containing 6 x two-bedroom flats. A car park at the rear of the site contains 18 car parking spaces, one per apartment. The planning permission allows for the replacement of the roof of each block with a new roof, 0.5m higher than the existing, including rear box-dormer type roof extension, to create a two bedroom flat in the roof space, along with three new allocated car parking spaces as well as secure storage for bins and bicycles

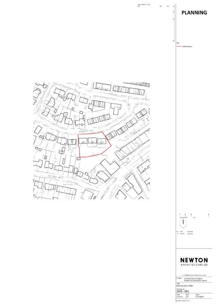
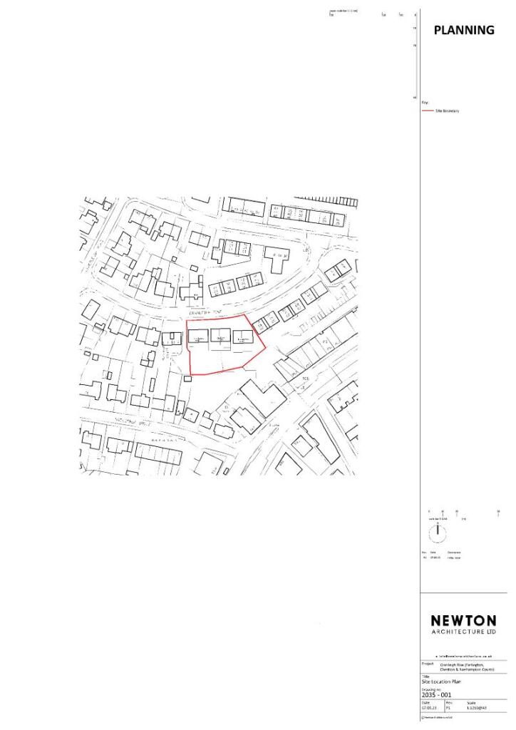
The roof space is located at Farlington, Cheriton, and Roehampton Courts, Cranleigh Rise, Cardiff CF3 4AN

Llanrumney is a suburb in east Cardiff, Wales.

Planning Planning permission has been granted for 3 x 2 bedroom dormer apartments

Planning ref: PA/22/00118 Local Authority Cardiff Council

Each Apartment Top Floor Lounge, Kitchen, bathroom and two bedrooms Ouside Parking space. Secure storage for bins and bicycles

Tenure: Advised Leasehold - to be verified by solicitor

Tenancies: To be sold with vacant possession

INVESTORS: If you are looking for assistance in tenant find and/or management packages, information on rental income/interest potential we have a Lettings Department that can help you. Please call us or email for invaluable advice.BrochuresLegal DocumentsOnline Bidding

Location

Address

Cheriton, Farlington and Roehampton Court, Cranleigh Rise, Rumney, Cardiff, CF3 4AN

City

Cardiff

Features and Finishes

Planning permission granted, 3 x loft apartments, Parking spaces, Excellent investment opportunity

Legal Notice

Our comprehensive database is populated by our meticulous research and analysis of public data. MirrorRealEstate strives for accuracy and we make every effort to verify the information. However, MirrorRealEstate is not liable for the use or misuse of the site's information. The information displayed on MirrorRealEstate.com is for reference only.

Real Estate Broker
Paul Fosh Auctions, Newport
Brokerage
Paul Fosh Auctions, Newport
Top Tags
Kitchen
Likes

0

Views

48

This website uses cookies to ensure you get the best experience. Learn more