Elwyn Road, Bradford, BD5 7HN
Property Details
4
2
Land
Description
Property Details: • Type: Land • Tenure: N/A • Floor Area: N/A
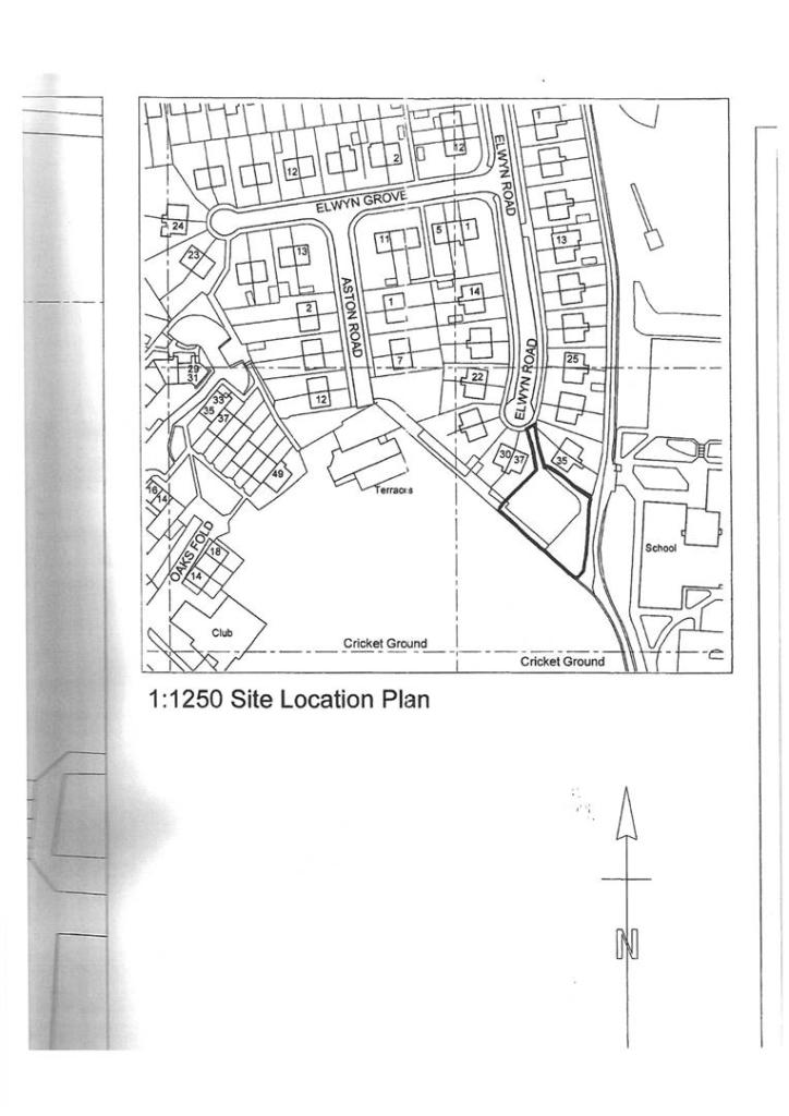
Key Features: • Outline PP for 2 detached • 2 x 4/5 Bedroom homes • G/F Study, Utility & WC • En-suite to master bedroom • Gardens & parking • Site of former garages • Over 8000 sq ft site • Cul de sac location • Close to amenities • No chain
Location: • Nearest Station: Bradford Interchange Station • Distance to Station: 0.9112375119608872 miles
Agent Information: • Address: 5-7 Beacon Road, Wibsey, Bradford, BD6 3HB
Full Description: A superb area of land with outline planning for 2 x 4 bedroom detached homes. Totally over 8000 sq ft, this plot will be in high demand. Situated at the top of this popular cul de sac, the plot is ideally located to the local school and local amenities<br /><br />Please see the plans online and you are welcome to view the plot from outside initially.<br /><br />
Location
Address
Elwyn Road, Bradford, BD5 7HN
City
Bradford
Features and Finishes
Outline PP for 2 detached, 2 x 4/5 Bedroom homes, G/F Study, Utility & WC, En-suite to master bedroom, Gardens & parking, Site of former garages, Over 8000 sq ft site, Cul de sac location, Close to amenities, No chain
Legal Notice
Our comprehensive database is populated by our meticulous research and analysis of public data. MirrorRealEstate strives for accuracy and we make every effort to verify the information. However, MirrorRealEstate is not liable for the use or misuse of the site's information. The information displayed on MirrorRealEstate.com is for reference only.