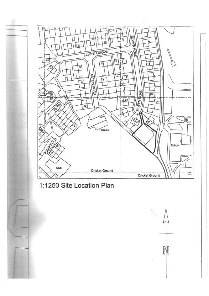
Elwyn Road, Bradford, BD5 7HN

GBP 150000 For Sale

Property Details

Property Type

Land

Description

Property Details: • Type: Land • Tenure: N/A • Floor Area: N/A

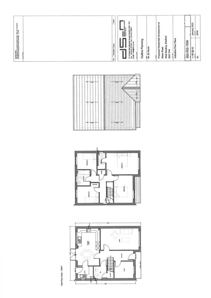
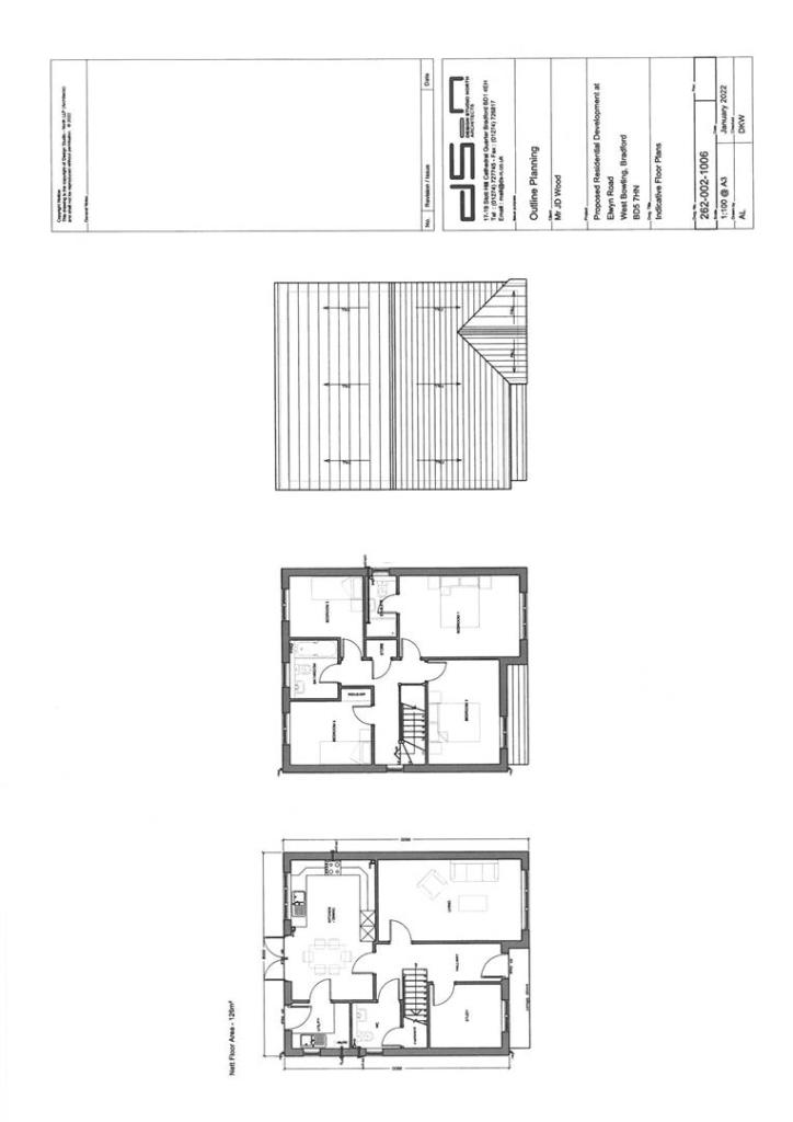
Key Features: • Outline PP for 2 detached • 2 x 4/5 Bedroom homes • G/F Study, Utility & WC • En-suite to master bedroom • Gardens & parking • Site of former garages • Over 8000 sq ft site • Cul de sac location • Close to amenities • No chain

Location: • Nearest Station: Bradford Interchange Station • Distance to Station: 0.9 miles

Agent Information: • Address: 5-7 Beacon Road, Wibsey, Bradford, BD6 3HB

Full Description: A superb area of land with outline planning for 2 x 4 bedroom detached homes. Totally over 8000 sq ft, this plot will be in high demand. Situated at the top of this popular cul de sac, the plot is ideally located to the local school and local amenitiesPlease see the plans online and you are welcome to view the plot from outside initially.BrochuresElwyn Road, Bradford, BD5 7HNBrochure

Location

Address

Elwyn Road, Bradford, BD5 7HN

City

Trident

Features and Finishes

Outline PP for 2 detached, 2 x 4/5 Bedroom homes, G/F Study, Utility & WC, En-suite to master bedroom, Gardens & parking, Site of former garages, Over 8000 sq ft site, Cul de sac location, Close to amenities, No chain

Legal Notice

Our comprehensive database is populated by our meticulous research and analysis of public data. MirrorRealEstate strives for accuracy and we make every effort to verify the information. However, MirrorRealEstate is not liable for the use or misuse of the site's information. The information displayed on MirrorRealEstate.com is for reference only.

Real Estate Broker
WW Estates, Wibsey
Brokerage
WW Estates, Wibsey
Top Tags
G/F Study Utility & WC Cul de sac location
Likes

0

Views

87

This website uses cookies to ensure you get the best experience. Learn more