Land Adjacent To , 4 Malham View Close, Barnoldswick, Lancashire
Property Details
10,890 sq ft
Description
Property Details: • Type: 10,890 sq ft • Tenure: N/A • Floor Area: N/A
Key Features: • Residential building plot extending to approximately 0.25 acres. • Sought after location in the popular town of Barnoldswick. • Conveniently located within a short walk from Barnoldswick town centre. • Elevated position with excellent views of Malham Cove and Ingleborough.
Location: • Nearest Station: Colne Station • Distance to Station: 4.1 miles
Agent Information: • Address: SUITE 125b Empire Business Centre 2 Empire way off Liverpool Road Burnley BB12 6HH
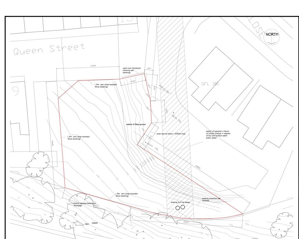
Full Description: A sloped, residential building plot located on Malham View Close, with previous planning consent for a detached 3 bedroom house with a garden and off road parking. The proposed development is to comprise a two storey, L-shaped dwelling with two storeys to the rear facing Westgate and a single storey section fronting Malham View Close. The upper level comprising a lounge, dining room / kitchen, utility room and WC and the lower level comprising 3 bedrooms, including an en-suite, a bathroom and study.The site is located to the North East of Malham View Close in an elevated position between terrace houses on Queen Street to the South and adjoining Westgate to the North. Situated in a highly desirable cul-de-sac location, Malham View Close is conveniently located within a short walk from Barnoldswick town centre and its amenities. Access can be made available for parties requiring further site investigation subject to prior confirmation and appointment. We will require indemnification in respect of any third party claims arising from an inspection being undertaken.We are advised that all mains services are available in the near vicinity. Interested parties must satisfy themselves as to the location and capacity of the services.Planning consent was granted on the 19th July 2016 for the construction of a detached 3 bedroom house. Full planning documents can be viewed on Pendle Borough Council's planning portal using application number 16/0380/FUL.It is the prospective Purchaser's responsibility to verify that their intended use is acceptable to the local planning authority.£85'000Each party is to be responsible for their own legal costs.Residential building plot extending to approximately 0.25 acres. Sought after location in the popular town of Barnoldswick.Conveniently located within a short walk from Barnoldswick town centre. Elevated position with excellent views of Malham Cove and Ingleborough.
Location
Address
Land Adjacent To , 4 Malham View Close, Barnoldswick, Lancashire
City
Flitwick
Features and Finishes
Residential building plot extending to approximately 0.25 acres., Sought after location in the popular town of Barnoldswick., Conveniently located within a short walk from Barnoldswick town centre., Elevated position with excellent views of Malham Cove and Ingleborough.
Legal Notice
Our comprehensive database is populated by our meticulous research and analysis of public data. MirrorRealEstate strives for accuracy and we make every effort to verify the information. However, MirrorRealEstate is not liable for the use or misuse of the site's information. The information displayed on MirrorRealEstate.com is for reference only.