Llwydarth Road, Maesteg

GBP 67500 For Sale

Property Details

Property Type

Land

Description

Property Details: • Type: Land • Tenure: N/A • Floor Area: N/A

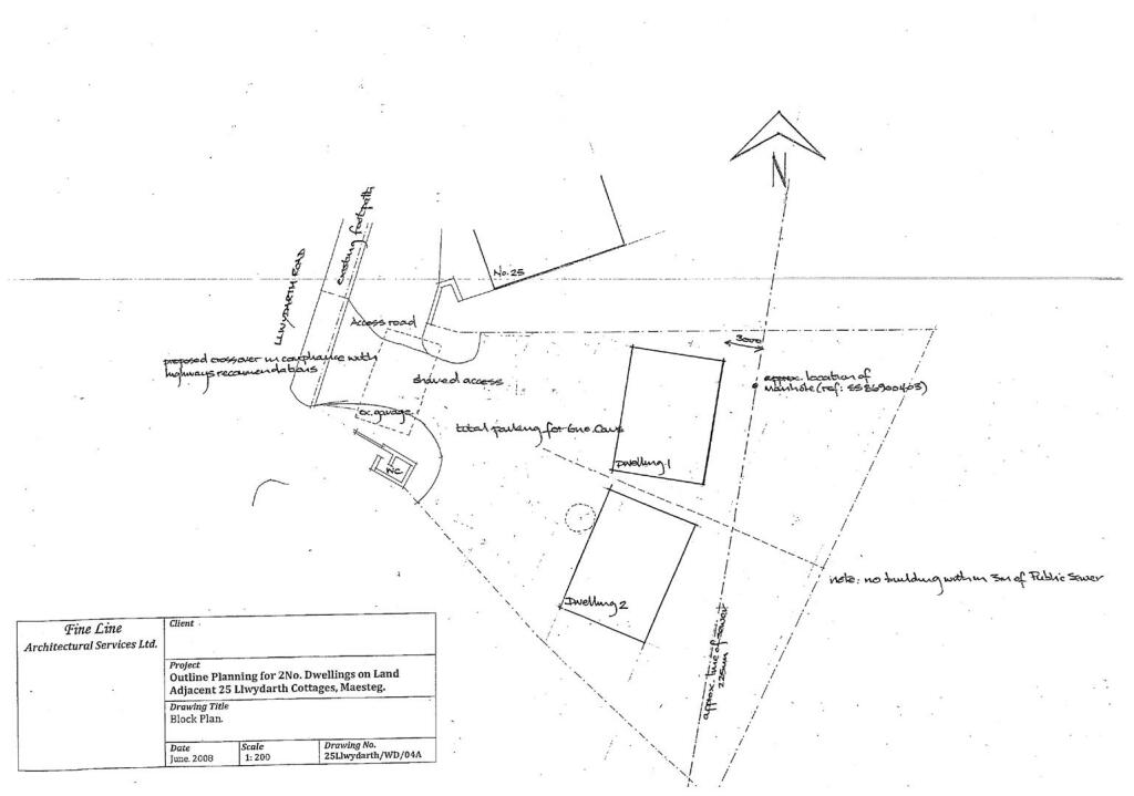
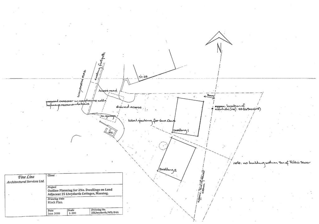
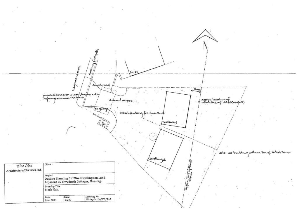
Key Features: • £67,500 per Plot • Two Plots • Outline Planning x2 Three Bedroom Det Properties

Location: • Nearest Station: Maesteg Ewenny Road Station • Distance to Station: 0.3 miles

Agent Information: • Address: 29 Llynfi Road, Maesteg, CF34 9DS

Full Description: Two Building Plots available with views to the rear. Outline Planning for two detached three bedroom dwellings. Plans available on request. Opportunity to build your dream home.BrochuresLlwydarth Road, MaestegBrochure

Location

Address

Llwydarth Road, Maesteg

City

Maesteg

Features and Finishes

£67,500 per Plot, Two Plots, Outline Planning x2 Three Bedroom Det Properties

Legal Notice

Our comprehensive database is populated by our meticulous research and analysis of public data. MirrorRealEstate strives for accuracy and we make every effort to verify the information. However, MirrorRealEstate is not liable for the use or misuse of the site's information. The information displayed on MirrorRealEstate.com is for reference only.

Real Estate Broker
Ferriers Estate Agents, Maesteg
Brokerage
Ferriers Estate Agents, Maesteg
Top Tags
Two Plots £67 500 per Plot Views to the rear
Likes

0

Views

64

This website uses cookies to ensure you get the best experience. Learn more