Lot 20 & 22 School Road, Kongorong SA 5291
Property Details
Vacant Land
Description
Property Details: • Type: Vacant Land
• Bedrooms: 0 • Bathrooms: 0
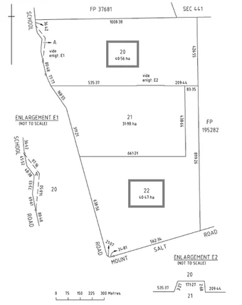
Description: Located in the tightly held Kongorong district just 20 minutes south-west of Mount Gambier and 10 minutes from the coast, this 200-acre parcel of fertile grazing land is an exceptional opportunity for producers, investors or those looking to build a rural future. Ideal as a turnout block to complement existing operations or as a foundation for a new farming enterprise, the property offers, versatility and long term value with dual road frontage to School Road and Mount Salt Road along with power availability at the rear. The land is held across two titles and includes a limestone quarry with a 37-acre working mining lease, with approximately 15 acres currently under extraction. The property is securely fenced with electric fencing, allowing efficient grazing management. The two allotments connect at the rear, creating seamless movement across the holding. An equipped bore with solar pump and poly tank on Lot 22, provides stock water to the southern title. Lot 20 - 40.56 Hectares - 100.2 Acres Lot 22 - 40.47 Hectares - 100 Acres Build your dream farm house, begin your farming enterprise or add to existing holdings. In conjunction with Ray White Mount Gambier. Council Rates / $5,823.80 p/a (Please note council rates figure currently includes three titles - this will be amended when sold separately) Emergency Services Levy / $373.55 p/a Land Size / 81.03 hectares - 200.2 ac Council / District Council of Grant Zoning / Rural
Location
Address
Lot 20 & 22 School Road, Kongorong SA 5291
City
Kongorong
Features and Finishes
None
Legal Notice
Our comprehensive database is populated by our meticulous research and analysis of public data. MirrorRealEstate strives for accuracy and we make every effort to verify the information. However, MirrorRealEstate is not liable for the use or misuse of the site's information. The information displayed on MirrorRealEstate.com is for reference only.