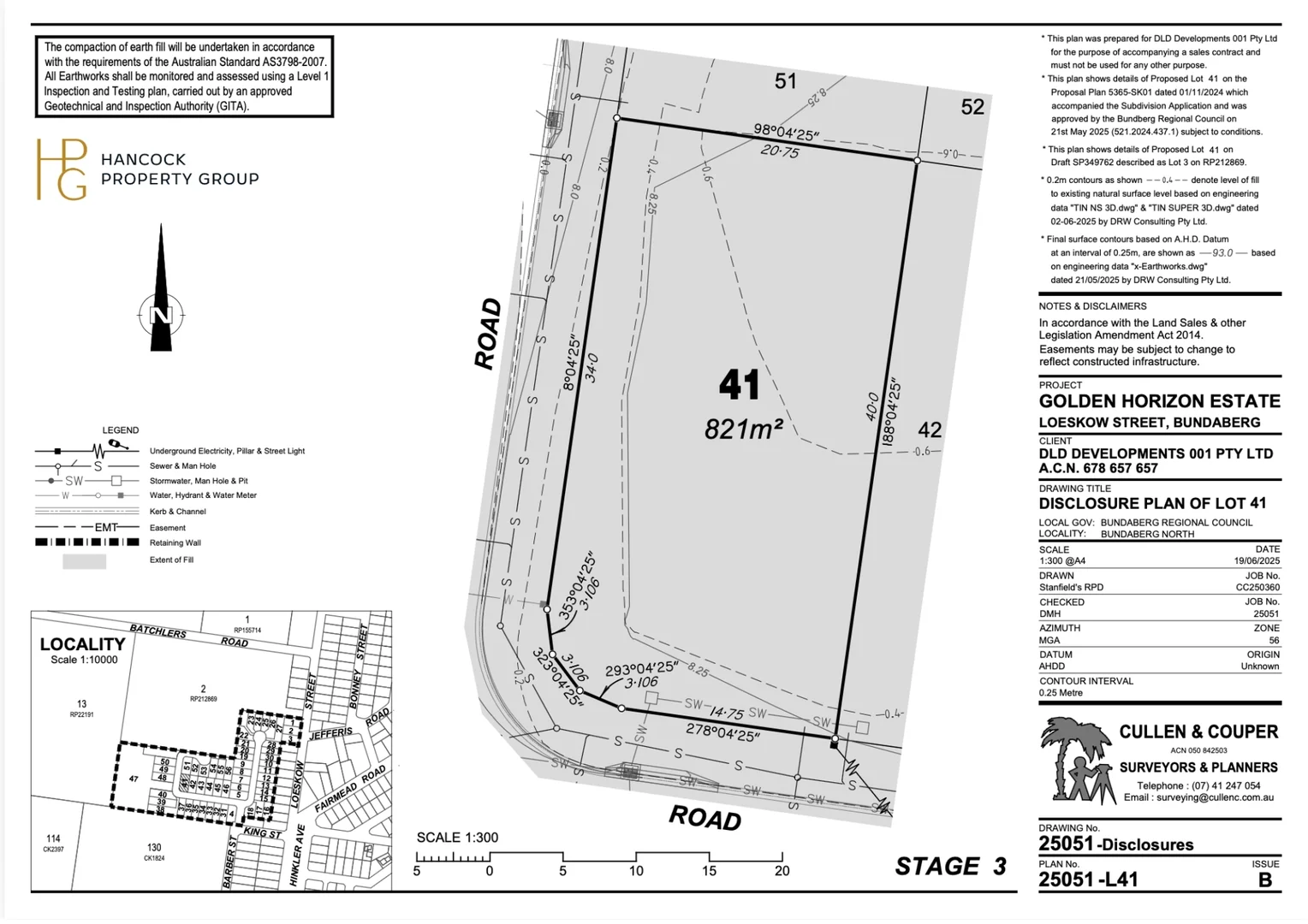
Lot 41 Golden Horizo Loeskow St, Bundaberg North QLD 4670
Property Details
Vacant Land
Description
Property Details: • Type: Vacant Land
• Bedrooms: 0 • Bathrooms: 0
Description: Welcome to Golden Horizon Estate, a premium residential community ideally positioned less than five minutes from the Bundaberg CBD and within walking distance to local State School. Combining everyday convenience with a relaxed lifestyle, this thoughtfully planned estate is designed for modern living and long-term value. Set moments from the IGA, surrounded by plenty of open parkland and green space, offering a peaceful, family-friendly environment, Golden Horizon Estate delivers the perfect balance of location and lifestyle. The estate features generously sized residential blocks, offering impressively large land sizes that are rarely found so close to the CBD. These expansive blocks provide exceptional space and flexibility to design and build a contemporary family home, shed, pool, or outdoor entertaining areas without compromise. With wide streets, landscaped surrounds, and a welcoming neighbourhood atmosphere, this is an address you'll be proud to call home. Close to schools, shopping, parks, and transport links, and positioned in a high-growth location, Golden Horizon Estate is an outstanding opportunity for first-home buyers, growing families, and savvy investors alike. Build with confidence. Invest with assurance. Golden Horizon Estate where your vision finds its home. Contact: Sonia Hancock Phone: 0438 162 574 Email: [email protected] Contact: Donna Chester Phone: 0428 755 927 Email: [email protected] Disclaimer: Information and figures are approximate, based on details provided by the Vendor and not independently verified by Hancock Property Group or its representatives. Prospective buyers are encouraged to conduct their own due diligence. Property Code: 148
Location
Address
Lot 41 Golden Horizo Loeskow St, Bundaberg North QLD 4670
City
Bundaberg North
Features and Finishes
None
Legal Notice
Our comprehensive database is populated by our meticulous research and analysis of public data. MirrorRealEstate strives for accuracy and we make every effort to verify the information. However, MirrorRealEstate is not liable for the use or misuse of the site's information. The information displayed on MirrorRealEstate.com is for reference only.