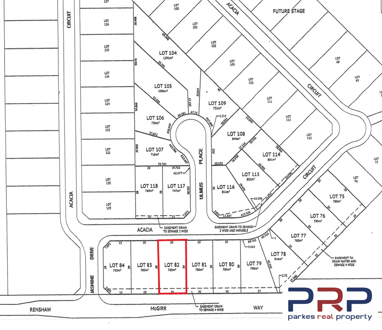
Lot 82 Acacia Circuit, Parkes NSW 2870
Property Details
Vacant Land
Description
Property Details: • Type: Vacant Land
• Bedrooms: 0 • Bathrooms: 0
Description: Build your dream home in Acacia Circuit, Parkes. Lot 82 Acacia Circuit is approx. 780sqm. Contact Parkes Real Property on 0268638888 for more information and price guide.
Location
Address
Lot 82 Acacia Circuit, Parkes NSW 2870
City
Parkes
Features and Finishes
None
Legal Notice
Our comprehensive database is populated by our meticulous research and analysis of public data. MirrorRealEstate strives for accuracy and we make every effort to verify the information. However, MirrorRealEstate is not liable for the use or misuse of the site's information. The information displayed on MirrorRealEstate.com is for reference only.