New Street, Ash, Canterbury, Kent, CT3

GBP 3500000 For Sale

Property Details

Property Type

Ask agent

Description

Property Details: • Type: Ask agent • Tenure: N/A • Floor Area: N/A

Key Features: • Land with planning permission for up to 53 new houses • Central village location • Straight forward drainage design • Site to be cleared • Services available • Access designed and permitted

Location: • Nearest Station: N/A • Distance to Station: N/A

Agent Information: • Address: Romney House Monument Way, Orbital Park, Ashford, TN24 0HB

Full Description: This is a great opportunity to buy a development site with flexible payment terms on the purchase

#TheGardenOfEngland

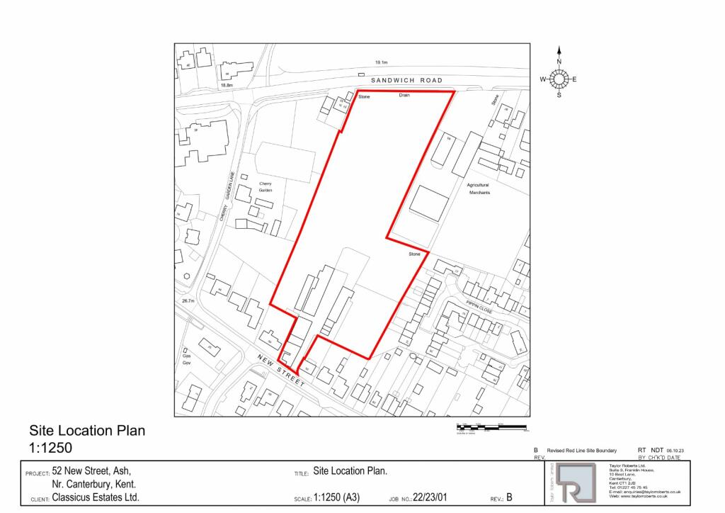
This village development site has permission for up to 53 new homes on a site extending to approx. 1.46 Ha or 3.61 Acres. It is located nicely in the centre of the village and slopes gently towards the Sandwich Road and the new access. There will be lovely countryside views for the first floor windows.

This village development site has permission for up to 53 new homes on a site extending to approx. 1.46 Ha or 3.61 Acres. It is located nicely in the centre of the village and slopes gently towards the Sandwich Road and the new access. There will be lovely countryside views for the first floor windows.

Our Ref: ADL240005

Location

Address

New Street, Ash, Canterbury, Kent, CT3

Features and Finishes

Land with planning permission for up to 53 new houses, Central village location, Straight forward drainage design, Site to be cleared, Services available, Access designed and permitted

Legal Notice

Our comprehensive database is populated by our meticulous research and analysis of public data. MirrorRealEstate strives for accuracy and we make every effort to verify the information. However, MirrorRealEstate is not liable for the use or misuse of the site's information. The information displayed on MirrorRealEstate.com is for reference only.

Real Estate Broker
Hobbs Parker Estate Agents, Ashford
Brokerage
Hobbs Parker Estate Agents, Ashford
Top Tags
Likes

0

Views

52

This website uses cookies to ensure you get the best experience. Learn more