PID - 6997235 Camp Road, Waratah TAS 7321
Property Details
Vacant Land
Description
Property Details: • Type: Vacant Land
• Bedrooms: 0 • Bathrooms: 0
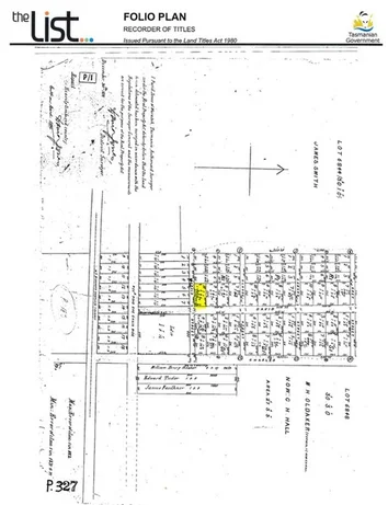
Description: Vacant Land 1,016m² (approx.) Rural Resource Zone Escape to the edge of the West Coast wilderness with this 1,016m² (approx.) vacant block on Camp Road, Waratah. Set within the Rural Resource Zone, this raw parcel of land offers an affordable opportunity for those looking to secure a bush setting and explore future development options (STCA). Currently, there are no reticulated services available to the property no town water, sewer or stormwater making this a true 'blank canvas' site that will require carefully considered onsite solutions. ________________________________________ Key Property Features PID: 6997235 Location: Camp Road, Waratah Land Size: 1,016m² (approx.) Zoning: Rural Resource Zone Services: o No town water o No sewer o No stormwater Setting: Bushfire prone area (additional requirements apply see below) Rates $686 ________________________________________ Important Development & Access Information (STCA) Any future development application for this site will need to address: Onsite servicing: All required services (water supply, wastewater, and stormwater management) will need to be provided onsite and within the title boundaries, in accordance with relevant standards and council requirements. Legal access: A legal access to the lot will need to be established prior to lodging a planning application. This is likely to involve creating a suitable legal access over the surrounding property to the unconstructed road reserve. Independent legal advice is strongly recommended to guide you on how to secure appropriate access arrangements. Bushfire requirements: The property is located within a Bushfire Prone Area. For a future dwelling, it is likely that a Bushfire Hazard Management Report and Bushfire Management Plan prepared by a suitably qualified bushfire hazard assessor will be required at building permit stage. This may impact: o Building setbacks o Road access and driveway standards o Building material choices and construction standards Interested parties are encouraged to liaise with a qualified Bushfire Hazard Assessor (TasFire website) to: o Confirm whether the site is suitable to meet bushfire requirements for a dwelling; o Discuss whether a Part V Agreement may be required. All intending purchasers should rely on their own enquiries and seek professional planning, bushfire and legal advice to ensure the land is suitable for their intended use. ________________________________________ Disclaimer We have in preparing this information used our best endeavours to ensure that the information contained herein is true and accurate but accept no responsibility and disclaim all liability in respect of any errors, inaccuracies or misstatements contained herein. Prospective purchasers should make their own inquiries to verify the information contained herein. All information contained in the Flex Realty Pty Ltd website is provided as a convenience to clients. All property prices displayed on the website are current at the time of issue but may change at any time and are subject to availability.
Location
Address
PID - 6997235 Camp Road, Waratah TAS 7321
City
Waratah
Features and Finishes
None
Legal Notice
Our comprehensive database is populated by our meticulous research and analysis of public data. MirrorRealEstate strives for accuracy and we make every effort to verify the information. However, MirrorRealEstate is not liable for the use or misuse of the site's information. The information displayed on MirrorRealEstate.com is for reference only.