Plot To East Of Greystones, Plot To East Of Greystones, Craigmyle Road, Torphins, Banchory, AB31
Property Details
Plot
Description
Property Details: • Type: Plot • Tenure: N/A • Floor Area: N/A
Key Features:
Location: • Nearest Station: Inverurie Station • Distance to Station: 15.427798798007847 miles
Agent Information: • Address: 74 High Street, Perth PH1 5TH
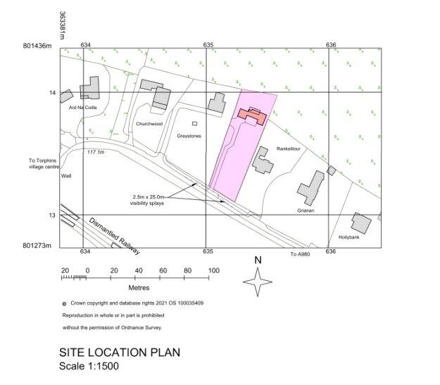
Full Description: A rare opportunity has arisen to acquire a building plot in a highly desirable location on the edge of the Royal Deeside village of Torphins. Located on the sought after Craigmyle Road, the building plot previously had full planning permission for the construction of a three bedroom, two storey, detached home with integral garage. <br /><br />Occupying a sheltered position with a southerly aspect, the property has been designed to complement the surrounding environment. <br /><br />The finished property will offer spacious and versatile accommodation comprising large open plan kitchen/dining/family room, separate lounge, bedroom/family room, utility room and WC on the ground floor and master bedroom with ensuite, bedroom, study and bathroom on the first floor.<br /><br />An integral double garage will create ample space for secure parking and storage, with additional parking on the driveway.<br /><br />Full details and all relevant planning documentation can be found can be found on the Aberdeenshire Planning Portal using the application reference: APP/2019/0664<br /> <br /><br />All enquiries should be made to Aberdein Considine. Site visits can be arranged.<br /><br />The picturesque village of Torphins is ideally located, offering tranquillity of village life, but with in easy commuting distance of Aberdeen (21 miles) with regular bus routes to Aberdeen and Deeside available. There is a good choice of shops and amenities within Torphins including a chemist and general grocers/post office with a wider range at nearby Banchory (6 miles) or Aboyne (8 miles). There is an excellent primary school in the village with secondary education available at nearby Aboyne Academy which incorporates a community and sports centre with a swimming pool. There is a wide range of outdoor pursuits available in the area including a 9-hole golf course, tennis courts and plentiful walking, hiking and biking routes.
Location
Address
Plot To East Of Greystones, Plot To East Of Greystones, Craigmyle Road, Torphins, Banchory, AB31
City
Banchory
Features and Finishes
None
Legal Notice
Our comprehensive database is populated by our meticulous research and analysis of public data. MirrorRealEstate strives for accuracy and we make every effort to verify the information. However, MirrorRealEstate is not liable for the use or misuse of the site's information. The information displayed on MirrorRealEstate.com is for reference only.