Post Office Road, Bradford, West Yorkshire, BD2
Property Details
Ask agent
Description
Property Details: • Type: Ask agent • Tenure: N/A • Floor Area: N/A
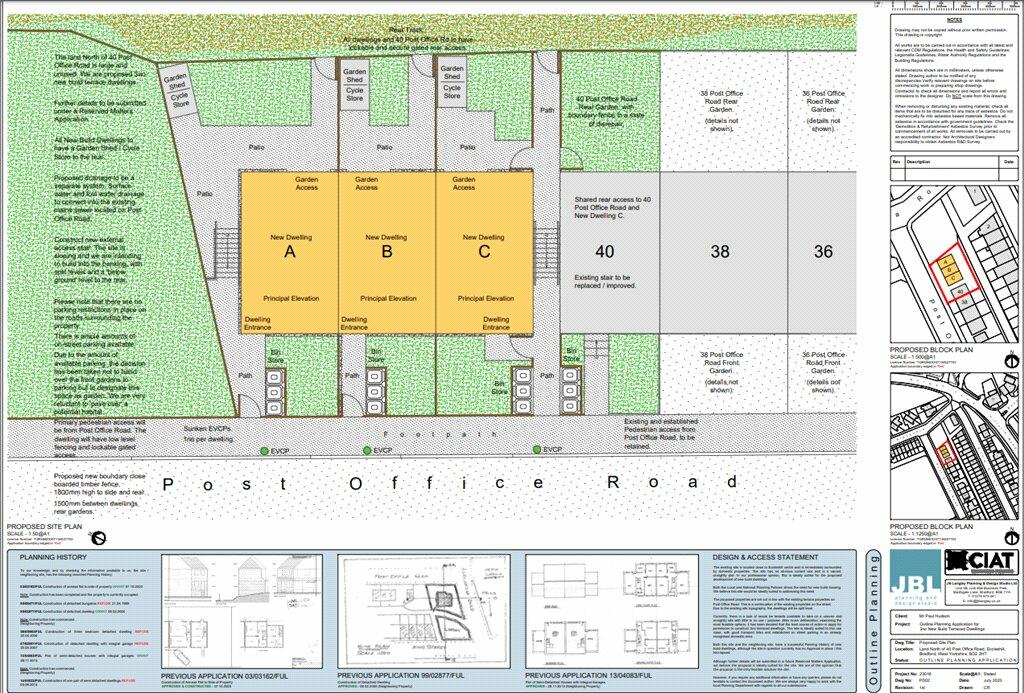
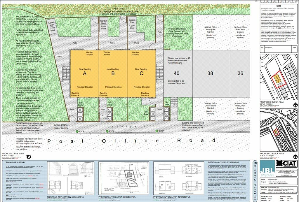
Key Features: • Development opportunity • Single building plot • Outline planning permission granted • Three multiple storey terrace houses • Planning number 23/03164/OUT
Location: • Nearest Station: N/A • Distance to Station: N/A
Agent Information: • Address: 77 Bingley Road, Shipley, BD18 4SB
Full Description: A superb opportunity for an investor or home builder looking for land for sale in a sought after area of Bradford with outline planning permission for three terraced dwellings with all matters reserved. 23/03164/OUT
A superb opportunity to purchase a building plot with outline planning permission for three good sized terrace homes, under planning number 23/03164/OUTThe property is situated in a highly regarded residential neighbourhood of BD2, close to the ever popular Eccleshill Village. The locality enjoys a range of shops, amenities, bars, restaurants and well respected primary and secondary schools. The area is close to both Bradford city centre and has fantastic links to Leeds. The location also offers superb road and rail networks to many West and North Yorkshire business centres which include Bradford, Ilkley, Skipton and Leeds. Council TaxThe City of Bradford Metropolitan District Council - Council Tax Band not in placeServicesNo services connected.ParkingOn street parking.Internet and Mobile CoverageThe Ofcom website shows internet available from at least 1 provider. Outdoor mobile coverage (excl 5G) available from at least 1 of the UK’s 4 main providers. Results are predictions not a guarantee & may differ subject to circumstances, exact location & network outages.
BrochuresParticulars
Location
Address
Post Office Road, Bradford, West Yorkshire, BD2
City
Bradford
Features and Finishes
Development opportunity, Single building plot, Outline planning permission granted, Three multiple storey terrace houses, Planning number 23/03164/OUT
Legal Notice
Our comprehensive database is populated by our meticulous research and analysis of public data. MirrorRealEstate strives for accuracy and we make every effort to verify the information. However, MirrorRealEstate is not liable for the use or misuse of the site's information. The information displayed on MirrorRealEstate.com is for reference only.