Prospect Place, Tylorstown, Ferndale, Rhondda Cynon Taff. CF43 3HS

GBP 20000 For Sale

Property Details

Property Type

Land

Description

Property Details: • Type: Land • Tenure: N/A • Floor Area: N/A

Key Features: • For sale by Modern Method of Auction • Freehold Land with Potential for Development • Situated behind East Road • Subject to Planning • Approximately 411 m2 or 4,424 sq ft • Title Plan - CYM359213 • Title Plan - WA228319 • Title Plan - WA202818 • Title Plan - WA207370

Location: • Nearest Station: Llwynypia Station • Distance to Station: 1.6 miles

Agent Information: • Address: Ty Gwyn 38 Talbot Road, Talbot Green CF72 8AF

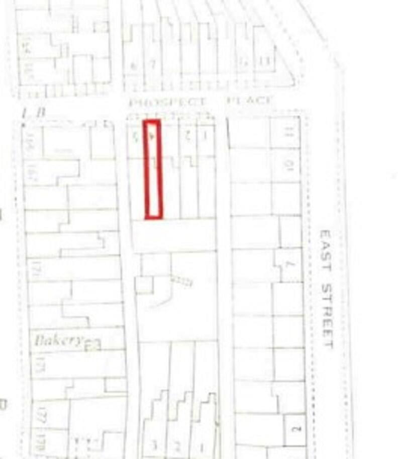
Full Description: Previously owned by Rhonnda Cynon Taff council, the Freehold land to be sold is known as 1,3,4,5 Prospect Place Tylorstown Ferndale and Land on the South Side of Prospect Place Tylorstown Ferndale. Separated under 4 title's, the plot will be sold as one whole.

Situated behind 9, 10 & 11 East road, the site area is approximately 411 m2 or 4,424 sq ft which could accommodate either residential or commercial use, subject to planning permission being obtained.

Currently there is no planning permission granted or submitted, therefore interested parties will need to make their own enquiries and application for permission via the planning department at Rhondda Cynon Taff council and other related authorities.

Please note the pictures are to be used as a guide only and the exact boundary will need to be confirmed by a registered solicitor.BrochuresBrochureEnergy Performance CertificatesEPC Graph

Location

Address

Prospect Place, Tylorstown, Ferndale, Rhondda Cynon Taff. CF43 3HS

City

Rhondda Cynon Taf

Features and Finishes

For sale by Modern Method of Auction, Freehold Land with Potential for Development, Situated behind East Road, Subject to Planning, Approximately 411 m2 or 4,424 sq ft, Title Plan - CYM359213, Title Plan - WA228319, Title Plan - WA202818, Title Plan - WA207370

Legal Notice

Our comprehensive database is populated by our meticulous research and analysis of public data. MirrorRealEstate strives for accuracy and we make every effort to verify the information. However, MirrorRealEstate is not liable for the use or misuse of the site's information. The information displayed on MirrorRealEstate.com is for reference only.

Real Estate Broker
Peter Morgan, Talbot Green
Brokerage
Peter Morgan, Talbot Green
Top Tags
Subject to Planning 424 sq ft
Likes

0

Views

67

This website uses cookies to ensure you get the best experience. Learn more