Station Road, Rimington, Clitheroe, BB7

GBP 75000 For Sale

Property Details

Property Type

Farm Land

Description

Property Details: • Type: Farm Land • Tenure: N/A • Floor Area: N/A

Key Features:

Location: • Nearest Station: N/A • Distance to Station: N/A

Agent Information: • Address: Royal Oak Chambers, Main Street, Bentham (Nr Lancaster), LA2 7HF

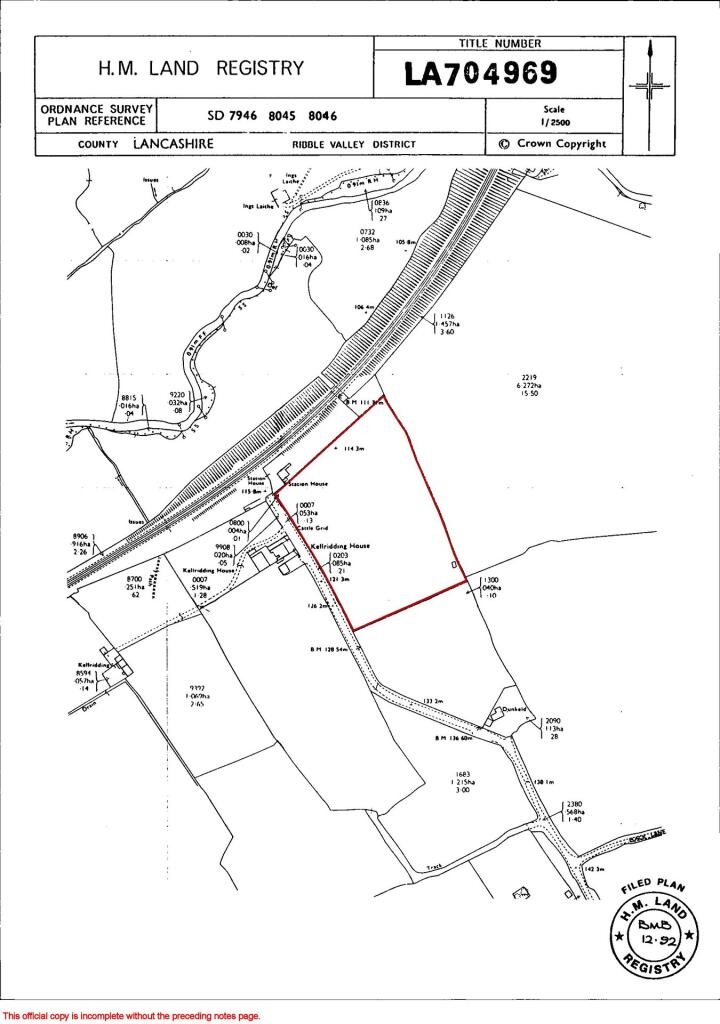
Full Description: A genuine and handy size piece of grassland well located in the village of Rimington within the Ribble Valley. The land has good prospects for the farmer, lifestyle and investor buyers alike.Viewing: can be carried out during daylight hours with the benefit of these particulars to hand.Tender deadline: 12pm (noon) Wednesday 3rd September 2025, clearly marked ‘Tender for Land off Station Road, Rimington’.Tender forms available online or on request.DescriptionThe land extends to 4.79 acres (1.94ha) and is shown edged red on the enclosed plan with stock proof boundaries and gated access points directly off Station Road. There are currently no mains services to the land, however there is a natural water course on the eastern boundary. The land is sold freehold with the benefit of vacant possession on the 1st July 2026 (Nb. land currently let on an annual licence agreement) and is offered for sale by informal tender. Offers in writing are requested by midday Wednesday 3th September 2025 to the offices of the selling agents.General Remarks and StipulationsThe Property is sold and will be conveyed with the benefit of and subject to the burden of all existing rights of way, all rights for the continuance of any means of supply of water, gas or electricity, all rights for drainage and sewerage and any other pipelines through, over or under any part, together with all necessary rights of access for maintenance, renewal and repair of any apparatus or construction in connection with such rights.The Vendor reserves the right to sell the whole property or any part of it before the Informal Tender Deadline.Anti-Money Laundering RegulationsPlease Note: In order for selling agents to comply with HM Revenue and Customs (HMRC) Anti-Money Laundering regulations we are now obliged to ask all purchasers to complete an Identification Verification Questionnaire form.Prospective buyers should be aware that if they submit a tender for the property and if their offer is to be accepted it would required that they provide documents in relation to money laundering regulations. These must be in the form of photographic identification (i.e., driving license or passport, and a utility bill showing the potential purchaser’s address). These can be provided in the following ways:• Bring original documents to copy into Richard Turner & Son Sawley office; or• Post original documents to copy to be copied and returned; or• Post a certified copy via your solicitor.Proof of funds will be required with any tender made.BrochuresBrochure 1Brochure 2Brochure 3

Location

Address

Station Road, Rimington, Clitheroe, BB7

City

Clitheroe

Legal Notice

Our comprehensive database is populated by our meticulous research and analysis of public data. MirrorRealEstate strives for accuracy and we make every effort to verify the information. However, MirrorRealEstate is not liable for the use or misuse of the site's information. The information displayed on MirrorRealEstate.com is for reference only.

Real Estate Broker
Richard Turner & Son, Bentham (Nr Lancaster),
Brokerage
Richard Turner & Son, Bentham (Nr Lancaster),
Top Tags
Likes

0

Views

29

This website uses cookies to ensure you get the best experience. Learn more