The Square, Patcham, Brighton
Property Details
None
Description
Property Details: • Type: N/A • Tenure: Freehold • Floor Area: N/A
Key Features: • For Sale By Auction Contract • 11 Period Cottages All Let on AST'S and Single Commercial Premises • Surrounding Gardens • Total Current Passing Rent Per Annum is 177,720 • Significant And Meaningful Break Up Discount Included • Further Capital Uplift Available • Exceptional and Completely Unique Investment Opportunity • Soughtafter Patcham Village Location • Legal Pack And Full Marketing Brochure Are Available Upon Request • Viewing Is Very Strictly By Appointment Only
Location: • Nearest Station: N/A • Distance to Station: N/A
Agent Information: • Address: 32 Queens Road, Brighton, BN1 3YE
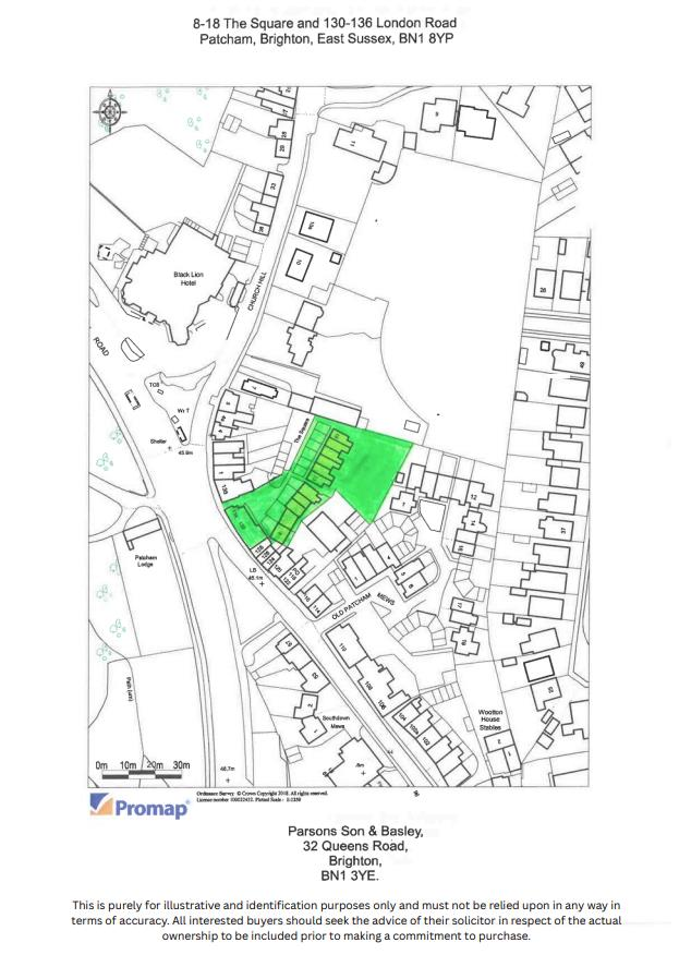
Full Description: FOR SALE BY AUCTION CONTRACT. Comprising of a unique terrace of 11, two storey Grade II Listed cottages full of charm and character as well as130/136 Old London Road, a most elegant, charming, characterful triple width building over two floors trading as The Elizabethan Tandoori Restaurant having been established many, many years ago and let under the terms of a FRI lease until July 26th 2036. Next review 27/6/2027. Each cottage has 2 bedrooms except for number 10 which has one bedroom and are rented out on Assured Shorthold Tenancies The Square in Patcham was built during circa 1800 and has been in the same family ownership since 1934, some 91 years ago and offers a quite wonderful and extremely rare opportunity to purchase this mixed residential and commercial portfolio of properties with a very strong and significant breakup value included. Further potential capital value and indeed rental value could be added by undertaking some updating, whilst to some of the cottages, the large communal gardens may be able to be divided up and fenced off thereby affording private and very good sized rear gardens to numbers 18 to 13 inclusive. All of the cottages enjoy their own front gardens.Location wise, access to The Square is obtained directly from Old London Road, a highly sought after and immensely popular position of Patcham Village hosted by excellent local schools, shops, pubs, restaurants, and coffee shops to name but a few. There is a regular bus service providing access into the city centre of Brighton with stops along the way making visits to Preston Park with its tennis courts, wide open green spaces, and Rotunda Coffee Bar very easy indeed. The same can be said for Preston Park Mainline Railway Station offering direct commuter links to London. Being situated on Old London Road, access to the Brighton to London A23 is literally less than a minute away as is the A27 linking you with both East and West Sussex and indeed other parts of the country.BrochuresThe Square, Patcham, Brighton
Location
Address
The Square, Patcham, Brighton
City
Brighton
Features and Finishes
For Sale By Auction Contract, 11 Period Cottages All Let on AST'S and Single Commercial Premises, Surrounding Gardens, Total Current Passing Rent Per Annum is 177,720, Significant And Meaningful Break Up Discount Included, Further Capital Uplift Available, Exceptional and Completely Unique Investment Opportunity, Soughtafter Patcham Village Location, Legal Pack And Full Marketing Brochure Are Available Upon Request, Viewing Is Very Strictly By Appointment Only
Legal Notice
Our comprehensive database is populated by our meticulous research and analysis of public data. MirrorRealEstate strives for accuracy and we make every effort to verify the information. However, MirrorRealEstate is not liable for the use or misuse of the site's information. The information displayed on MirrorRealEstate.com is for reference only.