35 Sandalwood Place, Boddington WA 6390
Property Details
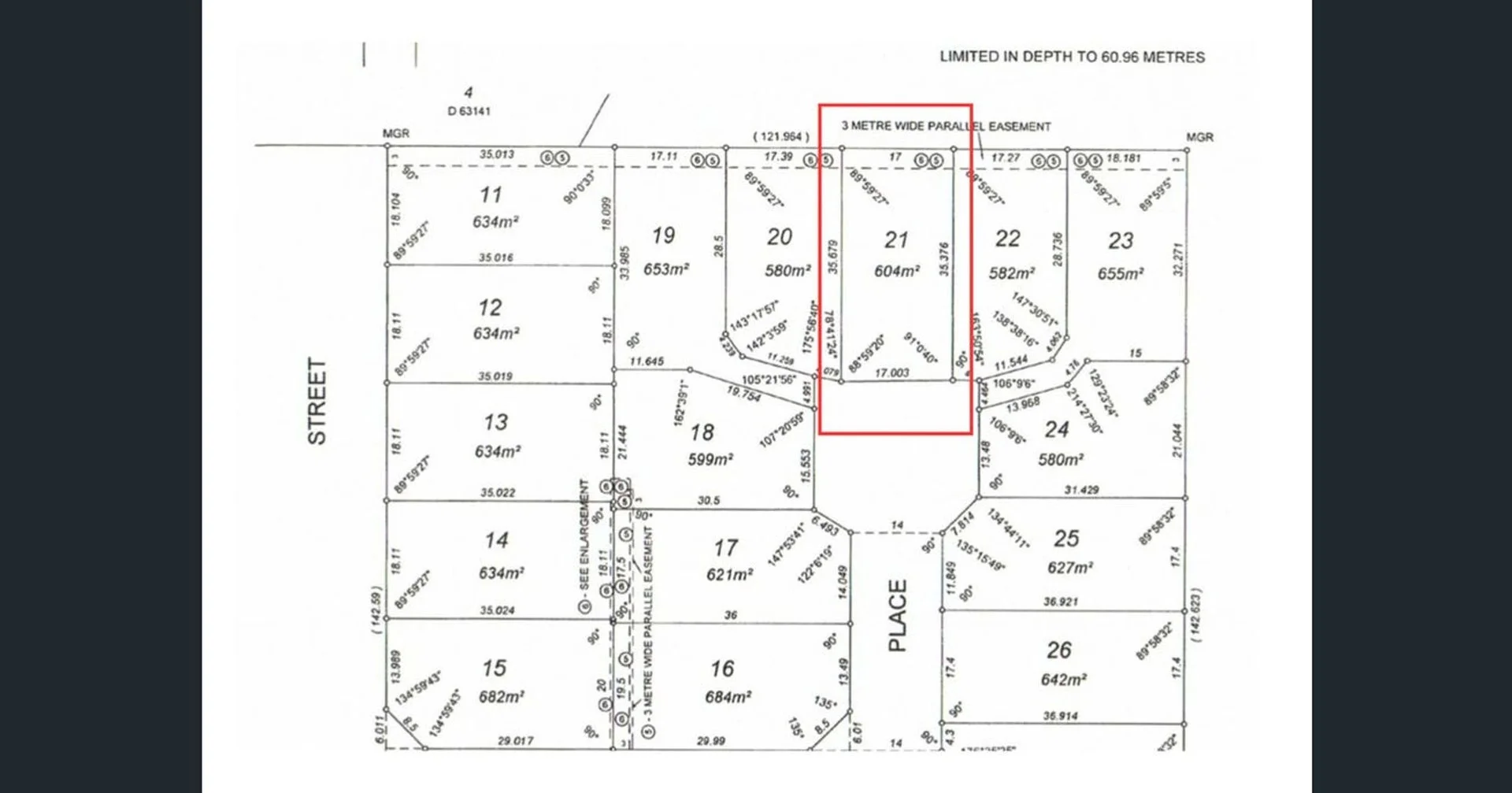
Vacant Land
Description
Property Details: • Type: Vacant Land
• Bedrooms: 0 • Bathrooms: 0
Description: Opportunities like this don't come along often. The current owners of this elevated 604sqm block have already done the hard work, leaving you with one simple step build. Sitting in a desirable position with all services available at the front of the block, this property is as close to "ready to go" as it gets. Essential reports and tests have been completed, including: Geotechnical site classification report House plans Site plan and survey plan Site photos Dynamic cone penetration test certificates Laboratory test certificate All the groundwork is done you can move straight to construction with confidence. Shire rates are approximately $1,100, and water/deep sewerage rates are around $1,600. Located just over an hour from Perth and the Mandurah coast, Boddington is a vibrant and growing country town offering a relaxed lifestyle, strong community spirit, and easy access to nature, services, and employment. Whether you're planning your dream home or a smart investment, this block is primed and waiting. All the hard work is done. All that's left is to build.
Location
Address
35 Sandalwood Place, Boddington WA 6390
City
Boddington
Features and Finishes
None
Legal Notice
Our comprehensive database is populated by our meticulous research and analysis of public data. MirrorRealEstate strives for accuracy and we make every effort to verify the information. However, MirrorRealEstate is not liable for the use or misuse of the site's information. The information displayed on MirrorRealEstate.com is for reference only.