Ridgeway Lane, Nether Heage, DE56

GBP 325000 For Sale

Property Details

Property Type

Land

Description

Property Details: • Type: Land • Tenure: N/A • Floor Area: N/A

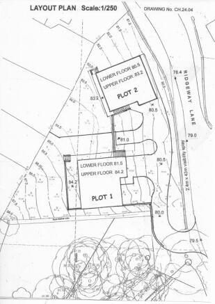
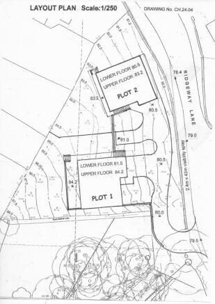
Key Features: • 1453 Square Metres • Fully Detailed Planning Available AVA/2024/0196 • Planning Granted For Two Three Bedroom Detached Dwellings • Chain Free • Sought After Area

Location: • Nearest Station: Ambergate Station • Distance to Station: 0.7 miles

Agent Information: • Address: 4 King Street Alfreton DE55 7AG

Full Description: Own a piece of paradise in the scenic countryside of Nether Heage, Derbyshire. This extraordinary land property presents a unique opportunity for those seeking to build their dream homes in an idyllic location. With fully detailed planning available and planning granted for two dwellings, this is an exceptional investment not to be missed.Spread over an impressive 1453 square meters, the plot boasts ample space to construct two three-bedroom detached dwellings. The planned homes are thoughtfully designed to merge elegant living spaces with modern amenities, creating an ideal environment for comfortable living. The open-plan layouts are sure to appeal to those looking for a seamless flow between rooms, while maintaining privacy and functionality.Situated on a rural lane, this property offers tranquility and natural beauty in abundance. Surrounded by picturesque landscapes, residents can enjoy breathtaking views of the countryside, making it a perfect escape from the hustle and bustle of city life. The sought-after area of Nether Heage offers a peaceful community atmosphere with friendly neighbours and a strong sense of community.Commuting is a breeze with great transport links in close proximity. Whether you need to travel for work or leisure, access to major roads and public transportation networks is conveniently nearby. The charming town of Derby is just a short drive away, providing residents with an array of shopping, dining, and entertainment options.Furthermore, this incredible land property is being offered as a no-chain sale, ensuring a hassle-free purchase process. The absence of a chain allows for a smooth and efficient transaction, allowing you to embark on your exciting building project without delays.Investing in this land offers an abundance of potential. Take advantage of the fully detailed planning already in place, which saves you time and effort in acquiring the necessary permissions. Additionally, with planning granted for two dwellings, you have the opportunity to create desirable homes that cater to the demands of today's discerning buyers.Nether Heage and its surrounding areas are highly regarded for their natural beauty and quality of life. From exploring the local countryside to immersing yourself in the history and culture of Derbyshire, there is never a shortage of activities and experiences to enjoy. Be part of a close-knit community that takes pride in its heritage and offers a warm welcome to all.Don't let this exceptional opportunity slip away. Contact us today to arrange a viewing and secure your chance to build the home of your dreams in the sought-after location of Nether Heage, Derbyshire. Act fast, as this unique property is not likely to be available for long!Viewing: , Viewing by appointment through Savidge & Brown on pressing option 2. The land is visible from the road frontage. Please respect the neighbouring properties privacy by viewing at reasonable time.Planning: , Planning consent has been granted by Amber Valley District Council planning reference number AVA/2024/0196Soil Test: , We, for ourselves, have not undertaken any soil tests and it is the purchasers responsibility to be sure of the ground conditions prior to exchange of contracts.Postcode: , The postcode for the satellite navigation user is DE56 2JT.Disclaimer: , Whilst we endeavour to make our sales particulars fair, accurate and reliable, they are only a general guide to the property and, accordingly, if there is any point which is of particular importance to you, please contact the office. SERVICES: The Agents have not tested any apparatus, equipment, fittings or services and so cannot verify they are in working order. The buyer is advised to obtain verification. MEASUREMENTS: Please note all the measurement details are approximate and should not be relied upon as exact.Offer Procedure : , Before contacting a Bank or Solicitor you should make your offer to our office and speak to a member of staff dealing with the sale as any delay may result in the sale being agreed to another purchaser incurring unnecessary costs. Under the Estate Agency Act 1991 you will be required as soon as possible from making an offer to provide us financial information in order to verify your position before we can finally recommend your offer to the vendor. We will also require proof of identification in order to adhere to Money Laundering Regulations.These particulars do not constitute any offer or contract nor any part thereof.

Location

Address

Ridgeway Lane, Nether Heage, DE56

City

Ripley

Features and Finishes

1453 Square Metres, Fully Detailed Planning Available AVA/2024/0196, Planning Granted For Two Three Bedroom Detached Dwellings, Chain Free, Sought After Area

Legal Notice

Our comprehensive database is populated by our meticulous research and analysis of public data. MirrorRealEstate strives for accuracy and we make every effort to verify the information. However, MirrorRealEstate is not liable for the use or misuse of the site's information. The information displayed on MirrorRealEstate.com is for reference only.

Real Estate Broker
Savidge & Brown, Alfreton
Brokerage
Savidge & Brown, Alfreton
Top Tags
1453 Square Metres Chain Free No-Chain Sale
Likes

0

Views

105

This website uses cookies to ensure you get the best experience. Learn more