Snowdrop, Land at West Church, Deskford, Cullen, AB565YJ
Property Details
Land
Description
Property Details: • Type: Land • Tenure: N/A • Floor Area: N/A
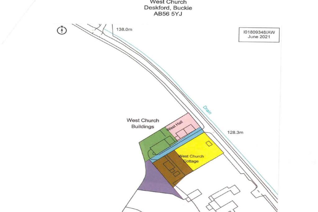
Key Features: • **IDEAL PURCHASE FOR BUILDER OR DEVELOPER**Great opportunity to purchase land set in beautiful location. May be suitable for residential development (subject to planning consent) set in light woodland • ***BOUND TO APPEAL TO A NUMBER OF INVESTORS***The land is set out in purple in picture 1. The land is mostly flat & wooded with a beautiful stream meandering through. it offers terrific potential. • Great Capital Growth Potential with excellent sales evidence; 32, The Village, Sandend, Banff, Bnf AB45 2UB sold for £126,000 . 14, Poppy Road, Buckie, Bnf AB56 4AA sold for £269,000. Woodend, Grang • Property sits in beautiful surroundings and has attractive views of the surrounding rural landscape with a stream near by. STUNNING LOCATION CLOSE TO THE VIBRANT TOWN OF CULLEN • Property is situated in the parish of Deskford, a couple of miles south of Cullen and approximately half way between Aberdeen and Inverness - perfect for exploring the Moray coast and Speyside.
Location: • Nearest Station: N/A • Distance to Station: N/A
Agent Information: • Address: 241 Kilmarnock Road Glasgow G41 3JF
Full Description: ** SALE BY AUCTION - 26 March 2026 - Timed Online Auction **ENHANCED TERMS OFFERED ON THIS LOT... Reduced Buyers Fee: 2% of Sale Price (Min £2500 ?)**IDEAL PURCHASE FOR BUILDER OR DEVELOPER** Great opportunity to purchase land set in beautiful location. May be suitable for residential development (subject to planning consent) many wild flowers growing in a light woodland setting. ***BOUND TO APPEAL TO A NUMBER OF INVESTORS*** FREEHOLD, the land is set out in purple in picture 1. The land is mostly flat & wooded with a beautiful stream meandering through. it offers terrific potential, Great Capital Growth Potential with excellent sales evidence; 32, The Village, Sandend, Banff, Bnf AB45 2UB sold for £126,000 . 14, Poppy Road, Buckie, Bnf AB56 4AA sold for £269,000. Woodend, Grange, Keith, Bnf AB55 6TB sold for £300,000. Property sits in beautiful surroundings and has attractive views of the surrounding rural landscape with a stream near by. STUNNING LOCATION CLOSE TO THE VIBRANT TOWN OF CULLENAuction Details26 March 2026, 10am-3pm Timed Online AuctionHow to Bid Now Submit an enquiry now or visit our website for full details on how to BID ON THIS PROPERTY.Future Property Auctions - Scotland's Largest Land and Property Auction House. Over 400 lots auctioned every 2 weeks including flats, houses, land & commercial.Get a Fast Sale and a Fair Price with Future Property Auctions. Contact Us now for a FREE Auction Valuation.
Location
Address
Snowdrop, Land at West Church, Deskford, Cullen, AB565YJ
City
Moray
Features and Finishes
**IDEAL PURCHASE FOR BUILDER OR DEVELOPER**Great opportunity to purchase land set in beautiful location. May be suitable for residential development (subject to planning consent) set in light woodland, ***BOUND TO APPEAL TO A NUMBER OF INVESTORS***The land is set out in purple in picture 1. The land is mostly flat & wooded with a beautiful stream meandering through. it offers terrific potential., Great Capital Growth Potential with excellent sales evidence; 32, The Village, Sandend, Banff, Bnf AB45 2UB sold for £126,000 . 14, Poppy Road, Buckie, Bnf AB56 4AA sold for £269,000. Woodend, Grang, Property sits in beautiful surroundings and has attractive views of the surrounding rural landscape with a stream near by. STUNNING LOCATION CLOSE TO THE VIBRANT TOWN OF CULLEN, Property is situated in the parish of Deskford, a couple of miles south of Cullen and approximately half way between Aberdeen and Inverness - perfect for exploring the Moray coast and Speyside.
Legal Notice
Our comprehensive database is populated by our meticulous research and analysis of public data. MirrorRealEstate strives for accuracy and we make every effort to verify the information. However, MirrorRealEstate is not liable for the use or misuse of the site's information. The information displayed on MirrorRealEstate.com is for reference only.