102 Olinda Drive, Brea, CA 92823

USD 2575000 For Sale
MLS: CV25261729

Property Details

Description

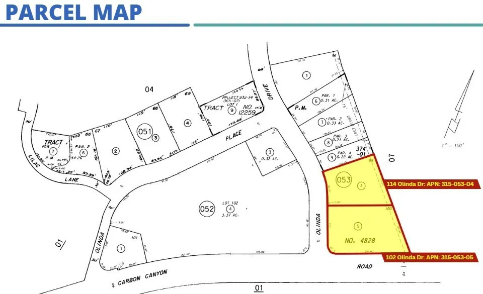
Versatile Commercial Property. An exceptional opportunity to acquire a multi-use commercial property built in 2001 and featuring 5,000 sq. ft. on a large 32,407 sq. ft. lot. This investment offers generous on-site parking for 20+ vehicles, is gated with ample space for future expansion or redevelopment. This property's layout, location, and zoning make it a rare find for organizations or businesses with room to grow. In addition, the adjacent parcel at 114 Olinda Dr., is also available For Sale and features 2 buildings consisting of 3,795 sq. ft. on a 26,591 sq. ft. lot with plenty of parking and gated for security. This property can be sold individually of collectively with 114 Olinda Dr. Zoned Neighborhood Commercial (NC), this property provides flexibility for a wide range of potential uses. Ideal for an owner-user, religious facility, school, daycare, community center, or other institutional or service-oriented operations. Excellent visibility inside Carbon Canyon with a high traffic count and close proximity to the 57 freeway and Chino Hills corridor.

PROPERTY DETAILS: Square Feet: 5000

INTERIOR FEATURES: • Cooling: Central Air • Heating: Forced Air • Security: Carbon Monoxide Detector(s), Closed Circuit Camera(s), Security Lights, Security System, Smoke Detector(s)

EXTERIOR FEATURES: • Parking: 20 Parking Spaces, • Exterior: Stucco, Frame • Roof: Tile • Fence: Wrought Iron, Fenced, Block, Masonry, Security

LISTING AGENT: Agent: Eric Eide | Office: RE/MAX MASTERS REALTY | Phone: 7147852557 | Email: [email protected]

LISTING INFORMATION: MLS#: CV25261729 | Status: FOR SALE

Location

Address

102 Olinda Drive

City

Brea

Features and Finishes

Interior Features:

• Cooling: Central Air

• Heating: Forced Air

• Security: Carbon Monoxide Detector(s), Closed Circuit Camera(s), Security Lights, Security System, Smoke Detector(s)

Exterior Features:

• Parking: 20 Parking Spaces,

• Exterior: Stucco, Frame

• Roof: Tile

• Fence: Wrought Iron, Fenced, Block, Masonry, Security

Legal Notice

Our comprehensive database is populated by our meticulous research and analysis of public data. MirrorRealEstate strives for accuracy and we make every effort to verify the information. However, MirrorRealEstate is not liable for the use or misuse of the site's information. The information displayed on MirrorRealEstate.com is for reference only.

Real Estate Broker
ERIC EIDE
Brokerage
RE/MAX MASTERS REALTY
Likes

0

Views

4

This website uses cookies to ensure you get the best experience. Learn more